Notícias e artigos Publicados
Pesquise um assunto!
China
Segunda-feira, 18 mai 2026 - 11h24
Global
Sexta-feira, 15 mai 2026 - 09h15
Brasil
Quinta-feira, 14 mai 2026 - 12h02
Global
Terça-feira, 12 mai 2026 - 11h45
Brasil
Segunda-feira, 11 mai 2026 - 09h47
Indonésia
Sexta-feira, 8 mai 2026 - 16h23
Canadá
Sexta-feira, 8 mai 2026 - 10h11
Brasil
Quarta-feira, 6 mai 2026 - 09h52
Estados Unidos
Quinta-feira, 30 abr 2026 - 10h57
Antártida
Quarta-feira, 29 abr 2026 - 09h13
Japão
Domingo, 26 abr 2026 - 21h44
África
Quinta-feira, 23 abr 2026 - 15h16
Guatemala
Quarta-feira, 22 abr 2026 - 08h56
Japão
Segunda-feira, 20 abr 2026 - 10h23
Itália
Sábado, 18 abr 2026 - 16h02
Antártida
Quinta-feira, 16 abr 2026 - 15h29
Pacífico ocidental
Terça-feira, 14 abr 2026 - 09h08
Havaí
Segunda-feira, 13 abr 2026 - 11h09
Global
Sexta-feira, 10 abr 2026 - 09h36
Estados Unidos
Quinta-feira, 9 abr 2026 - 11h29
Oceania
Quarta-feira, 8 abr 2026 - 10h41
Brasil e Uruguai
Terça-feira, 7 abr 2026 - 11h22
Indonésia
Quinta-feira, 2 abr 2026 - 12h15
Arquipélago das Marianas
Segunda-feira, 30 mar 2026 - 10h58
Havaí
Quarta-feira, 25 mar 2026 - 16h46
Austrália
Terça-feira, 24 mar 2026 - 11h11
Havaí
Segunda-feira, 23 mar 2026 - 15h21
Brasil
Sexta-feira, 20 mar 2026 - 10h51
Austrália
Quarta-feira, 18 mar 2026 - 09h12
Havaí
Terça-feira, 17 mar 2026 - 17h35
Japão
Quinta-feira, 12 mar 2026 - 16h33
Atlântico Norte
Segunda-feira, 9 mar 2026 - 11h16
Península Ibérica e Marrocos
Sexta-feira, 6 mar 2026 - 09h34
Marrocos
Quinta-feira, 5 mar 2026 - 16h39
Brasil
Segunda-feira, 2 mar 2026 - 15h54
Brasil
Quinta-feira, 26 fev 2026 - 10h14
Estados Unidos
Terça-feira, 24 fev 2026 - 16h31
Brasil
Segunda-feira, 23 fev 2026 - 10h39
Peru
Sexta-feira, 20 fev 2026 - 09h46
Oceano Índico
Quinta-feira, 19 fev 2026 - 12h05
Brasil
Terça-feira, 17 fev 2026 - 09h16
Madagascar
Sábado, 14 fev 2026 - 16h08
Portugal e Espanha
Quarta-feira, 11 fev 2026 - 09h52
Brasil
Terça-feira, 10 fev 2026 - 11h22
Portugal e Espanha
Domingo, 8 fev 2026 - 16h52
Japão
Quarta-feira, 4 fev 2026 - 09h52
Portugal
Terça-feira, 3 fev 2026 - 10h42
Indonésia
Segunda-feira, 2 fev 2026 - 11h03
Ártico
Sexta-feira, 30 jan 2026 - 11h46
Portugal
Quinta-feira, 29 jan 2026 - 10h47
Itália
Quarta-feira, 28 jan 2026 - 09h00
Austrália
Terça-feira, 27 jan 2026 - 14h21
Estados Unidos
Segunda-feira, 26 jan 2026 - 08h57
Itália e Espanha
Quinta-feira, 22 jan 2026 - 12h05
Japão
Quinta-feira, 22 jan 2026 - 09h56
Chile
Segunda-feira, 19 jan 2026 - 10h07
Argentina
Terça-feira, 13 jan 2026 - 09h28
Brasil
Segunda-feira, 12 jan 2026 - 10h45
França
Quinta-feira, 8 jan 2026 - 10h56
Atlântico Norte
Terça-feira, 6 jan 2026 - 11h09
Brasil
Segunda-feira, 5 jan 2026 - 09h53
Brasil
Terça-feira, 30 dez 2025 - 15h42
Estados Unidos
Sábado, 27 dez 2025 - 11h51
Brasil
Sábado, 27 dez 2025 - 10h08
Brasil
Segunda-feira, 22 dez 2025 - 09h59
Brasil
Quarta-feira, 17 dez 2025 - 09h05
Brasil
Quinta-feira, 11 dez 2025 - 10h36
Brasil
Quarta-feira, 10 dez 2025 - 10h17
Japão
Segunda-feira, 8 dez 2025 - 15h58
Brasil
Segunda-feira, 8 dez 2025 - 09h03
Pacífico leste e central
Quinta-feira, 4 dez 2025 - 09h26
Atlântico Norte
Quinta-feira, 4 dez 2025 - 08h39
Peru
Terça-feira, 2 dez 2025 - 08h48
Brasil
Sexta-feira, 28 nov 2025 - 15h09
Ásia
Sexta-feira, 28 nov 2025 - 10h32
África
Terça-feira, 25 nov 2025 - 11h56
Brasil
Segunda-feira, 24 nov 2025 - 11h45
Brasil
Sábado, 22 nov 2025 - 09h21
Global
Quarta-feira, 19 nov 2025 - 10h26
Portugal e Reino Unido
Segunda-feira, 17 nov 2025 - 10h47
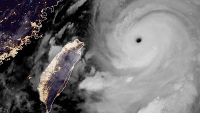
Taiwan
Quinta-feira, 13 nov 2025 - 15h33
Filipinas e Taiwan
Terça-feira, 11 nov 2025 - 16h18
Brasil
Sábado, 8 nov 2025 - 17h09
Filipinas
Quinta-feira, 6 nov 2025 - 12h53
Filipinas
Terça-feira, 4 nov 2025 - 10h33
Chile
Sexta-feira, 31 out 2025 - 10h44
Caribe
Quarta-feira, 29 out 2025 - 10h06
Caribe
Segunda-feira, 27 out 2025 - 12h32
Global
Sexta-feira, 24 out 2025 - 10h11
Brasil
Quinta-feira, 23 out 2025 - 11h20
Jamaica e Hispaniola
Quinta-feira, 23 out 2025 - 09h27
Global
Quinta-feira, 16 out 2025 - 15h43
Brasil
Quarta-feira, 15 out 2025 - 12h15
Alasca
Terça-feira, 14 out 2025 - 15h48
Japão
Segunda-feira, 13 out 2025 - 15h53
Filipinas
Sexta-feira, 10 out 2025 - 08h35
Brasil
Quarta-feira, 8 out 2025 - 12h14
Tibete
Terça-feira, 7 out 2025 - 11h46
México
Segunda-feira, 6 out 2025 - 16h19
Bermudas
Quarta-feira, 1 out 2025 - 16h52
Filipinas
Quarta-feira, 1 out 2025 - 09h14
Vietnã e Filipinas
Segunda-feira, 29 set 2025 - 16h37
Portugal
Quinta-feira, 25 set 2025 - 11h02
Taiwan e China
Quarta-feira, 24 set 2025 - 15h56
Brasil
Quarta-feira, 24 set 2025 - 09h22
Brasil
Terça-feira, 23 set 2025 - 10h02
Filipinas
Segunda-feira, 22 set 2025 - 16h30
Brasil
Segunda-feira, 22 set 2025 - 10h49
Global
Quarta-feira, 17 set 2025 - 15h49
Atlântico Sul
Segunda-feira, 15 set 2025 - 11h07
Oceano Pacífico
Sexta-feira, 12 set 2025 - 09h32
Brasil
Quinta-feira, 11 set 2025 - 10h03
China
Terça-feira, 9 set 2025 - 10h37
Japão
Sábado, 6 set 2025 - 15h46
México
Quinta-feira, 4 set 2025 - 10h20
África
Quarta-feira, 3 set 2025 - 09h11
Afeganistão
Segunda-feira, 1 set 2025 - 10h39
Oceano Pacífico
Sexta-feira, 29 ago 2025 - 10h37
Estados Unidos
Quarta-feira, 27 ago 2025 - 09h24
Vietnã e China
Segunda-feira, 25 ago 2025 - 16h33
Brasil
Segunda-feira, 25 ago 2025 - 09h06
América do Sul
Sexta-feira, 22 ago 2025 - 08h20
Rússia
Quinta-feira, 21 ago 2025 - 14h42
Espanha e Portugal
Terça-feira, 19 ago 2025 - 10h18
Atlântico Norte
Segunda-feira, 18 ago 2025 - 11h29
Atlântico Norte
Sexta-feira, 15 ago 2025 - 14h10
Taiwan e China
Quinta-feira, 14 ago 2025 - 10h35
Portugal
Quarta-feira, 13 ago 2025 - 09h04
Brasil
Segunda-feira, 11 ago 2025 - 11h41
Turquia
Segunda-feira, 11 ago 2025 - 10h02
França
Quinta-feira, 7 ago 2025 - 15h58
Japão
Terça-feira, 5 ago 2025 - 09h24
Rússia
Quinta-feira, 31 jul 2025 - 09h36
Rússia
Quarta-feira, 30 jul 2025 - 10h45
Brasil
Segunda-feira, 28 jul 2025 - 14h40
Turquia e Grécia
Segunda-feira, 28 jul 2025 - 09h57
Filipinas
Sexta-feira, 25 jul 2025 - 12h07
Coreia do Sul
Segunda-feira, 21 jul 2025 - 10h07
China
Domingo, 20 jul 2025 - 14h18
Brasil
Sexta-feira, 18 jul 2025 - 11h07
Estados Unidos
Quarta-feira, 16 jul 2025 - 16h11
Japão
Terça-feira, 15 jul 2025 - 10h35
Estados Unidos
Segunda-feira, 14 jul 2025 - 10h38
Canadá
Sexta-feira, 11 jul 2025 - 09h46
Europa
Terça-feira, 1 jul 2025 - 11h16
Turquia
Terça-feira, 1 jul 2025 - 09h51
Estados Unidos
Quinta-feira, 26 jun 2025 - 13h27
Brasil
Terça-feira, 24 jun 2025 - 14h58
Argentina e Uruguai
Terça-feira, 24 jun 2025 - 09h44
Brasil, Argentina, Uruguai
Segunda-feira, 23 jun 2025 - 09h38
México
Quinta-feira, 19 jun 2025 - 15h22
Brasil
Quarta-feira, 18 jun 2025 - 11h57
Peru
Segunda-feira, 16 jun 2025 - 17h29
Antártida
Sexta-feira, 13 jun 2025 - 09h18
Estados Unidos
Quinta-feira, 12 jun 2025 - 16h14
Brasil
Quarta-feira, 11 jun 2025 - 10h28
Oceano Pacífico
Segunda-feira, 9 jun 2025 - 15h50
Colômbia
Segunda-feira, 9 jun 2025 - 11h13
Brasil
Sexta-feira, 6 jun 2025 - 09h00
Reino Unido e Irlanda
Quarta-feira, 4 jun 2025 - 10h03
Global
Quinta-feira, 29 mai 2025 - 15h46
Austrália
Segunda-feira, 26 mai 2025 - 10h52
Atlântico Norte
Sexta-feira, 23 mai 2025 - 15h41
Grécia
Sexta-feira, 23 mai 2025 - 10h25
Brasil
Quinta-feira, 22 mai 2025 - 10h42
Brasil
Quarta-feira, 21 mai 2025 - 09h51
Estados Unidos
Segunda-feira, 19 mai 2025 - 09h41
Brasil
Quinta-feira, 15 mai 2025 - 15h26
Brasil
Terça-feira, 13 mai 2025 - 10h21
China
Segunda-feira, 12 mai 2025 - 10h05
Brasil
Sábado, 10 mai 2025 - 16h01
Brasil
Sexta-feira, 9 mai 2025 - 10h03
Havaí
Quinta-feira, 8 mai 2025 - 10h51
Geórgia do Sul
Quarta-feira, 7 mai 2025 - 08h38
Argentina e Chile
Segunda-feira, 5 mai 2025 - 09h16
Argentina
Sexta-feira, 2 mai 2025 - 09h57
Brasil
Quarta-feira, 30 abr 2025 - 09h19
Patagônia
Segunda-feira, 28 abr 2025 - 16h23
Cordilheira do Himalaia
Quarta-feira, 23 abr 2025 - 10h04
Austrália
Segunda-feira, 21 abr 2025 - 16h43
Austrália
Quarta-feira, 16 abr 2025 - 08h29
Espanha e Portugal
Segunda-feira, 14 abr 2025 - 10h38
Global
Domingo, 13 abr 2025 - 16h34
Coreia do Sul
Quarta-feira, 9 abr 2025 - 16h37
Havaí
Terça-feira, 8 abr 2025 - 11h50
Brasil
Segunda-feira, 7 abr 2025 - 15h17
Mianmar
Quarta-feira, 2 abr 2025 - 10h24
Tonga
Segunda-feira, 31 mar 2025 - 10h41
Mianmar e Tailândia
Sexta-feira, 28 mar 2025 - 10h37
Coreia do Sul
Quinta-feira, 27 mar 2025 - 14h24
Brasil
Terça-feira, 25 mar 2025 - 16h09
Brasil
Sexta-feira, 21 mar 2025 - 11h07
Estados Unidos
Quarta-feira, 19 mar 2025 - 10h35
Global
Segunda-feira, 17 mar 2025 - 15h27
Portugal e Espanha
Sexta-feira, 14 mar 2025 - 09h32
Brasil
Quinta-feira, 13 mar 2025 - 10h10
África
Quarta-feira, 12 mar 2025 - 09h28
Guatemala
Terça-feira, 11 mar 2025 - 10h03
Austrália
Segunda-feira, 10 mar 2025 - 09h48
Argentina
Domingo, 9 mar 2025 - 16h21
Geórgia do Sul
Quarta-feira, 5 mar 2025 - 18h26
Austrália
Quarta-feira, 5 mar 2025 - 10h46
Tailândia
Sexta-feira, 28 fev 2025 - 11h04
Chile
Quarta-feira, 26 fev 2025 - 08h17
Austrália
Terça-feira, 25 fev 2025 - 09h28
Portugal
Sábado, 22 fev 2025 - 16h29
Grécia
Quinta-feira, 20 fev 2025 - 12h03
Brasil
Terça-feira, 18 fev 2025 - 10h28
Itália
Segunda-feira, 17 fev 2025 - 10h07
Brasil
Sexta-feira, 14 fev 2025 - 07h57
Austrália
Quinta-feira, 13 fev 2025 - 12h06
Japão
Quarta-feira, 12 fev 2025 - 10h53
Oceano Pacífico
Terça-feira, 11 fev 2025 - 14h22
Brasil
Segunda-feira, 10 fev 2025 - 10h08
Itália e Grécia
Sexta-feira, 7 fev 2025 - 16h19
Brasil
Terça-feira, 4 fev 2025 - 14h05
Grécia
Terça-feira, 4 fev 2025 - 10h18
Atlântico Sul
Segunda-feira, 3 fev 2025 - 10h53
Oceano Pacífico
Sexta-feira, 31 jan 2025 - 16h21
Europa
Quinta-feira, 30 jan 2025 - 11h26
Brasil
Segunda-feira, 27 jan 2025 - 16h57
Brasil
Segunda-feira, 27 jan 2025 - 10h18
Reino Unido
Quarta-feira, 22 jan 2025 - 09h34
Taiwan
Terça-feira, 21 jan 2025 - 09h59
Estados Unidos
Segunda-feira, 20 jan 2025 - 09h57
Brasil
Sábado, 18 jan 2025 - 19h58
Madagascar e Mayotte
Quinta-feira, 16 jan 2025 - 11h13
Brasil
Quarta-feira, 15 jan 2025 - 08h48
Estados Unidos
Terça-feira, 14 jan 2025 - 10h02
Brasil
Sexta-feira, 10 jan 2025 - 16h57
Estados Unidos
Quinta-feira, 9 jan 2025 - 10h16
Tibete e Nepal
Terça-feira, 7 jan 2025 - 16h27
El Salvador
Segunda-feira, 6 jan 2025 - 09h30
África
Sexta-feira, 3 jan 2025 - 16h06
América do Sul
Segunda-feira, 30 dez 2024 - 10h32
Estados Unidos
Domingo, 29 dez 2024 - 16h49
Antártida
Sexta-feira, 27 dez 2024 - 07h45
Antártida
Segunda-feira, 23 dez 2024 - 11h12
Mayotte e Moçambique
Sexta-feira, 20 dez 2024 - 09h34
Vanuatu
Terça-feira, 17 dez 2024 - 09h06
Global
Sexta-feira, 13 dez 2024 - 17h02
África
Quinta-feira, 12 dez 2024 - 09h36
Brasil
Terça-feira, 10 dez 2024 - 15h20
Brasil
Segunda-feira, 9 dez 2024 - 09h09
Global
Sexta-feira, 6 dez 2024 - 10h27
Estados Unidos
Quinta-feira, 5 dez 2024 - 18h00
Brasil
Quarta-feira, 4 dez 2024 - 08h56
Brasil
Terça-feira, 3 dez 2024 - 09h34
Brasil
Segunda-feira, 2 dez 2024 - 10h38
Atlântico e Pacífico
Sexta-feira, 29 nov 2024 - 10h03
Brasil
Quinta-feira, 28 nov 2024 - 12h31
Estados Unidos
Segunda-feira, 25 nov 2024 - 16h49
Islândia
Sábado, 23 nov 2024 - 09h53
França
Sexta-feira, 22 nov 2024 - 10h01
Global
Terça-feira, 19 nov 2024 - 16h31
Portugal
Segunda-feira, 18 nov 2024 - 12h35
Filipinas
Segunda-feira, 18 nov 2024 - 10h07
Brasil
Quinta-feira, 14 nov 2024 - 11h40
Filipinas e China
Quarta-feira, 13 nov 2024 - 11h04
Estados Unidos
Sexta-feira, 8 nov 2024 - 12h26
Filipinas
Quinta-feira, 7 nov 2024 - 16h13
Cuba
Quinta-feira, 7 nov 2024 - 11h24
Indonésia
Terça-feira, 5 nov 2024 - 11h37
Espanha
Segunda-feira, 4 nov 2024 - 10h34
Espanha
Sexta-feira, 1 nov 2024 - 09h04
Taiwan
Quinta-feira, 31 out 2024 - 09h37
Japão
Quarta-feira, 30 out 2024 - 16h38
Espanha
Quarta-feira, 30 out 2024 - 12h21
Filipinas,Taiwan, Japão
Terça-feira, 29 out 2024 - 15h47
Brasil
Sexta-feira, 25 out 2024 - 16h04
Índia
Quinta-feira, 24 out 2024 - 11h06
Brasil
Quarta-feira, 23 out 2024 - 10h17
Itália
Segunda-feira, 21 out 2024 - 14h42
França
Sábado, 19 out 2024 - 16h42
Global
Sexta-feira, 18 out 2024 - 08h16
África
Quinta-feira, 17 out 2024 - 09h24
Global
Segunda-feira, 14 out 2024 - 14h58
Brasil
Sábado, 12 out 2024 - 14h32
Global
Sexta-feira, 11 out 2024 - 10h45
Estados Unidos
Quinta-feira, 10 out 2024 - 16h22
Estados Unidos
Quarta-feira, 9 out 2024 - 16h43
Brasil
Terça-feira, 8 out 2024 - 09h33
Portugal
Segunda-feira, 7 out 2024 - 16h18
Estados Unidos
Segunda-feira, 7 out 2024 - 10h03
Estados Unidos
Sábado, 5 out 2024 - 11h49
Brasil
Sexta-feira, 4 out 2024 - 13h34
África do Sul
Sexta-feira, 4 out 2024 - 10h35
Taiwan
Quinta-feira, 3 out 2024 - 09h57
Nepal
Terça-feira, 1 out 2024 - 10h05
Taiwan
Segunda-feira, 30 set 2024 - 11h07
Estados Unidos
Domingo, 29 set 2024 - 17h10
Brasil
Sexta-feira, 27 set 2024 - 10h21
EUA e México
Quinta-feira, 26 set 2024 - 10h24
México
Terça-feira, 24 set 2024 - 16h13
México
Segunda-feira, 23 set 2024 - 11h19
Brasil
Sexta-feira, 20 set 2024 - 11h02
Itália
Quinta-feira, 19 set 2024 - 16h27
Brasil
Quarta-feira, 18 set 2024 - 11h13
China e Japão
Quarta-feira, 18 set 2024 - 09h52
Portugal
Terça-feira, 17 set 2024 - 10h49
Europa Central
Segunda-feira, 16 set 2024 - 11h03
Global
Sexta-feira, 13 set 2024 - 12h54
Estados Unidos
Quinta-feira, 12 set 2024 - 18h40
Brasil
Quinta-feira, 12 set 2024 - 10h36
Estados Unidos
Quarta-feira, 11 set 2024 - 10h50
Vietnã, China, Filipinas
Terça-feira, 10 set 2024 - 10h35
Brasil
Segunda-feira, 9 set 2024 - 15h43
China e Vietnã
Sábado, 7 set 2024 - 16h27
Grécia
Quinta-feira, 5 set 2024 - 09h43
Brasil
Quarta-feira, 4 set 2024 - 16h05
Filipinas
Terça-feira, 3 set 2024 - 11h01
Brasil
Segunda-feira, 2 set 2024 - 10h25
Japão
Quinta-feira, 29 ago 2024 - 16h37
Brasil
Quinta-feira, 29 ago 2024 - 11h04
Global
Quarta-feira, 28 ago 2024 - 09h57
Japão
Terça-feira, 27 ago 2024 - 10h13
Portugal
Segunda-feira, 26 ago 2024 - 16h12
Brasil
Segunda-feira, 26 ago 2024 - 09h57
Global
Sábado, 24 ago 2024 - 19h25
Brasil
Quarta-feira, 21 ago 2024 - 10h26
Itália
Terça-feira, 20 ago 2024 - 16h37
EUA e Bermudas
Segunda-feira, 19 ago 2024 - 10h52
Japão
Sexta-feira, 16 ago 2024 - 09h51
Austrália
Quinta-feira, 15 ago 2024 - 15h09
Caribe e Atlântico
Quarta-feira, 14 ago 2024 - 11h20
Grécia
Terça-feira, 13 ago 2024 - 11h14
Estados Unidos
Terça-feira, 13 ago 2024 - 09h34
Japão
Segunda-feira, 12 ago 2024 - 16h50
Japão
Segunda-feira, 12 ago 2024 - 10h12
Argentina e Brasil
Sexta-feira, 9 ago 2024 - 11h31
Global
Sexta-feira, 9 ago 2024 - 09h40
Japão
Quinta-feira, 8 ago 2024 - 09h05
França
Quarta-feira, 7 ago 2024 - 10h54
Estados Unidos
Terça-feira, 6 ago 2024 - 17h27
Brasil
Terça-feira, 6 ago 2024 - 09h28
Itália
Segunda-feira, 5 ago 2024 - 17h24
Estados Unidos
Segunda-feira, 5 ago 2024 - 08h58
EUA e Canadá
Sexta-feira, 2 ago 2024 - 10h27
Pacífico Oriental
Quinta-feira, 1 ago 2024 - 10h59
Brasil
Segunda-feira, 29 jul 2024 - 09h40
Itália
Sexta-feira, 26 jul 2024 - 11h30
França
Quinta-feira, 25 jul 2024 - 11h08
Taiwan e China
Quarta-feira, 24 jul 2024 - 18h43
Global
Quarta-feira, 24 jul 2024 - 09h14
China e Vietnã
Segunda-feira, 22 jul 2024 - 09h16
Chile e Brasil
Sexta-feira, 19 jul 2024 - 09h16
Rússia
Quarta-feira, 17 jul 2024 - 11h45
Caribe e EUA
Terça-feira, 16 jul 2024 - 11h46
Chile
Terça-feira, 16 jul 2024 - 10h14
BR, Uruguai e Argentina
Segunda-feira, 15 jul 2024 - 11h03
Estados Unidos
Quinta-feira, 11 jul 2024 - 09h46
Estados Unidos
Segunda-feira, 8 jul 2024 - 10h48
Itália
Sexta-feira, 5 jul 2024 - 14h53
Itália
Quinta-feira, 4 jul 2024 - 16h17
Caribe e México
Quinta-feira, 4 jul 2024 - 10h33
Caribe e México
Terça-feira, 2 jul 2024 - 16h04
Caribe
Segunda-feira, 1 jul 2024 - 11h41
Brasil
Segunda-feira, 1 jul 2024 - 09h39
Peru
Sexta-feira, 28 jun 2024 - 09h23
Japão
Quarta-feira, 26 jun 2024 - 09h55
Brasil
Terça-feira, 25 jun 2024 - 10h50
Brasil
Segunda-feira, 24 jun 2024 - 11h34
Venezuela e Brasil
Segunda-feira, 24 jun 2024 - 09h26
EUA e México
Sexta-feira, 21 jun 2024 - 12h36
México e EUA
Quinta-feira, 20 jun 2024 - 16h48
EUA e México
Quarta-feira, 19 jun 2024 - 16h03
Global
Quarta-feira, 19 jun 2024 - 09h13
Brasil
Terça-feira, 18 jun 2024 - 16h04
Brasil
Segunda-feira, 17 jun 2024 - 11h45
Global
Segunda-feira, 17 jun 2024 - 09h32
Brasil
Quinta-feira, 13 jun 2024 - 11h12
Egito
Quinta-feira, 13 jun 2024 - 08h19
Turquia, Chipre, Grécia
Quarta-feira, 12 jun 2024 - 10h27
Oceano Pacífico
Terça-feira, 11 jun 2024 - 10h37
Chile e Argentina
Segunda-feira, 10 jun 2024 - 11h27
Filipinas
Quinta-feira, 6 jun 2024 - 14h52
Global
Quarta-feira, 5 jun 2024 - 08h44
Antártica
Terça-feira, 4 jun 2024 - 10h11
Ìndia
Sábado, 1 jun 2024 - 10h57
Islândia
Quinta-feira, 30 mai 2024 - 11h33
Japão e Filipinas
Quarta-feira, 29 mai 2024 - 10h06
Brasil
Terça-feira, 28 mai 2024 - 10h07
Papua Nova Guiné
Segunda-feira, 27 mai 2024 - 18h32
Filipinas e Japão
Segunda-feira, 27 mai 2024 - 11h42
Índia e Bangladesh
Segunda-feira, 27 mai 2024 - 09h51
EUA e Caribe
Sexta-feira, 24 mai 2024 - 11h26
Brasil
Sexta-feira, 24 mai 2024 - 09h55
Estados Unidos
Quinta-feira, 23 mai 2024 - 16h00
México
Quinta-feira, 23 mai 2024 - 10h36
Itália
Quarta-feira, 22 mai 2024 - 10h15
Alemanha e França
Terça-feira, 21 mai 2024 - 08h22
Brasil
Segunda-feira, 20 mai 2024 - 09h53
Afeganistão
Domingo, 19 mai 2024 - 21h09
Itália
Sexta-feira, 17 mai 2024 - 11h38
Brasil
Quinta-feira, 16 mai 2024 - 09h04
Canadá
Quarta-feira, 15 mai 2024 - 15h55
Brasil
Terça-feira, 14 mai 2024 - 10h18
Global
Segunda-feira, 13 mai 2024 - 21h47
Brasil
Sexta-feira, 10 mai 2024 - 10h29
Global
Quinta-feira, 9 mai 2024 - 16h25
Brasil
Segunda-feira, 6 mai 2024 - 10h32
Brasil
Sexta-feira, 3 mai 2024 - 16h27
Brasil
Sexta-feira, 3 mai 2024 - 11h23
Brasil
Quinta-feira, 2 mai 2024 - 10h02
Brasil
Terça-feira, 30 abr 2024 - 09h50
Estados Unidos
Segunda-feira, 29 abr 2024 - 09h37
Brasil
Quinta-feira, 25 abr 2024 - 16h07
Taiwan
Quarta-feira, 24 abr 2024 - 16h05
Indonésia
Segunda-feira, 22 abr 2024 - 11h30
Emirados Árabes Unidos
Quinta-feira, 18 abr 2024 - 14h28
Indonésia
Quarta-feira, 17 abr 2024 - 18h53
Global
Quarta-feira, 17 abr 2024 - 15h40
Itália
Terça-feira, 16 abr 2024 - 11h59
Brasil
Segunda-feira, 15 abr 2024 - 09h43
Itália
Sexta-feira, 12 abr 2024 - 12h45
Brasil
Sexta-feira, 12 abr 2024 - 10h20
França
Quarta-feira, 10 abr 2024 - 15h24
México, EUA, Canadá
Terça-feira, 9 abr 2024 - 09h20
Estados Unidos
Sexta-feira, 5 abr 2024 - 16h09
Taiwan
Quinta-feira, 4 abr 2024 - 10h37
Taiwan
Quarta-feira, 3 abr 2024 - 09h58
Canadá e Groenlândia
Terça-feira, 2 abr 2024 - 15h27
China, Mongólia e Rússia
Terça-feira, 2 abr 2024 - 09h07
França e Suíça
Segunda-feira, 1 abr 2024 - 10h12
Madagáscar
Quinta-feira, 28 mar 2024 - 11h12
Brasil
Quarta-feira, 27 mar 2024 - 11h16
Atlântico Norte
Terça-feira, 26 mar 2024 - 09h14
Brasil
Segunda-feira, 25 mar 2024 - 10h24
Brasil
Sexta-feira, 22 mar 2024 - 09h07
Global
Quinta-feira, 21 mar 2024 - 10h10
Islândia
Terça-feira, 19 mar 2024 - 09h37
Austrália
Segunda-feira, 18 mar 2024 - 10h46
Austrália
Sexta-feira, 15 mar 2024 - 10h04
África
Quarta-feira, 13 mar 2024 - 10h37
Argentina
Terça-feira, 12 mar 2024 - 11h39
Brasil
Terça-feira, 12 mar 2024 - 08h57
Europa
Segunda-feira, 11 mar 2024 - 09h28
Global
Quinta-feira, 7 mar 2024 - 15h12
Brasil
Quinta-feira, 7 mar 2024 - 10h01
Brasil
Quarta-feira, 6 mar 2024 - 10h49
Ilhas Galápagos
Terça-feira, 5 mar 2024 - 09h32
Brasil
Segunda-feira, 4 mar 2024 - 09h39
Estados Unidos
Domingo, 3 mar 2024 - 11h00
Brasil
Quinta-feira, 29 fev 2024 - 14h37
Brasil
Terça-feira, 27 fev 2024 - 19h04
Austrália e Ilhas Maurício
Sexta-feira, 23 fev 2024 - 10h26
Brasil
Quinta-feira, 22 fev 2024 - 10h50
Brasil
Quinta-feira, 22 fev 2024 - 09h39
Estados Unidos
Quarta-feira, 21 fev 2024 - 08h51
Brasil
Segunda-feira, 19 fev 2024 - 09h41
Brasil
Sexta-feira, 16 fev 2024 - 09h38
Global
Quarta-feira, 14 fev 2024 - 11h17
Islândia
Segunda-feira, 12 fev 2024 - 11h18
Global
Sexta-feira, 9 fev 2024 - 10h01
Chile e Argentina
Quinta-feira, 8 fev 2024 - 12h27
Estados Unidos
Quarta-feira, 7 fev 2024 - 10h01
Brasil
Terça-feira, 6 fev 2024 - 10h41
Chile
Segunda-feira, 5 fev 2024 - 09h18
Reino Unido, Cabo Verde e Canárias
Quinta-feira, 1 fev 2024 - 15h53
Global
Quarta-feira, 31 jan 2024 - 15h55
Reino Unido
Terça-feira, 30 jan 2024 - 09h18
Islândia
Sexta-feira, 26 jan 2024 - 18h08
Austrália
Sexta-feira, 26 jan 2024 - 11h35
Estados Unidos
Terça-feira, 23 jan 2024 - 15h09
China
Terça-feira, 23 jan 2024 - 09h31
Brasil
Segunda-feira, 22 jan 2024 - 08h40
Brasil
Sexta-feira, 19 jan 2024 - 11h07
EUA e Canadá
Quinta-feira, 18 jan 2024 - 10h33
BR, Uruguai e Argentina
Quarta-feira, 17 jan 2024 - 15h57
Islândia
Segunda-feira, 15 jan 2024 - 10h44
Estados Unidos
Sexta-feira, 12 jan 2024 - 09h42
Global
Terça-feira, 9 jan 2024 - 16h28
Brasil
Terça-feira, 9 jan 2024 - 09h36
Suécia e Finlândia
Sexta-feira, 5 jan 2024 - 11h19
Japão
Terça-feira, 2 jan 2024 - 09h18
Japão
Segunda-feira, 1 jan 2024 - 09h08
China
Quarta-feira, 27 dez 2023 - 16h55
Australia
Quinta-feira, 21 dez 2023 - 15h37
Islândia
Terça-feira, 19 dez 2023 - 19h00
China
Terça-feira, 19 dez 2023 - 15h57
Argentina e Uruguai
Segunda-feira, 18 dez 2023 - 16h23
EUA
Quarta-feira, 13 dez 2023 - 11h00
Austrália
Terça-feira, 12 dez 2023 - 09h34
Brasil
Segunda-feira, 11 dez 2023 - 09h19
Alemanha
Sexta-feira, 8 dez 2023 - 09h26
Global
Quinta-feira, 7 dez 2023 - 11h01
Indonésia
Terça-feira, 5 dez 2023 - 10h10
Brasil
Segunda-feira, 4 dez 2023 - 11h12
Atlântico e Pacífico
Sexta-feira, 1 dez 2023 - 11h51
Brasil
Quinta-feira, 30 nov 2023 - 12h27
Rússia e leste europeu
Quarta-feira, 29 nov 2023 - 15h12
Islândia
Terça-feira, 28 nov 2023 - 10h49
Antártida
Segunda-feira, 27 nov 2023 - 10h17
Global
Quinta-feira, 23 nov 2023 - 16h45
Brasil
Quarta-feira, 22 nov 2023 - 16h34
Global
Terça-feira, 21 nov 2023 - 10h30
Brasil
Segunda-feira, 20 nov 2023 - 10h02
Brasil
Sábado, 18 nov 2023 - 10h51
Islândia
Quinta-feira, 16 nov 2023 - 16h31
Brasil
Quinta-feira, 16 nov 2023 - 09h24
Islândia
Terça-feira, 14 nov 2023 - 10h29
Brasil
Domingo, 12 nov 2023 - 16h14
Global
Sexta-feira, 10 nov 2023 - 10h53
Global
Quinta-feira, 9 nov 2023 - 16h10
Brasil
Quarta-feira, 8 nov 2023 - 10h59
Brasil
Segunda-feira, 6 nov 2023 - 10h40
Brasil
Domingo, 5 nov 2023 - 20h52
Europa
Sexta-feira, 3 nov 2023 - 11h10
Brasil
Terça-feira, 31 out 2023 - 16h33
Antártida
Terça-feira, 31 out 2023 - 09h59
Brasil
Segunda-feira, 30 out 2023 - 10h06
Tonga
Sexta-feira, 27 out 2023 - 13h06
México
Quinta-feira, 26 out 2023 - 10h42
Brasil
Terça-feira, 24 out 2023 - 10h30
México e Caribe
Segunda-feira, 23 out 2023 - 11h15
Brasil
Sexta-feira, 20 out 2023 - 08h34
México
Quinta-feira, 19 out 2023 - 11h36
Brasil e Argentina
Quarta-feira, 18 out 2023 - 11h22
Afeganistão
Segunda-feira, 16 out 2023 - 09h41
Brasil
Sexta-feira, 13 out 2023 - 11h51
Brasil
Sexta-feira, 13 out 2023 - 09h48
Brasil
Quarta-feira, 11 out 2023 - 14h27
Brasil
Terça-feira, 10 out 2023 - 09h26
Antártida
Segunda-feira, 9 out 2023 - 08h20
China
Domingo, 8 out 2023 - 16h36
Afeganistão
Domingo, 8 out 2023 - 10h43
Global
Sexta-feira, 6 out 2023 - 09h40
Brasil
Quinta-feira, 5 out 2023 - 11h40
Brasil
Segunda-feira, 2 out 2023 - 10h16
Itália
Sexta-feira, 29 set 2023 - 15h24
Brasil
Quinta-feira, 28 set 2023 - 19h22
Brasil
Quinta-feira, 28 set 2023 - 09h38
Brasil
Quarta-feira, 27 set 2023 - 10h14
Canadá
Terça-feira, 26 set 2023 - 10h14
Brasil
Segunda-feira, 25 set 2023 - 11h01
Estados Unidos
Sexta-feira, 22 set 2023 - 16h39
Austrália
Quinta-feira, 21 set 2023 - 17h25
Europa
Quarta-feira, 20 set 2023 - 10h45
Brasil
Terça-feira, 19 set 2023 - 09h15
Canadá e EUA
Segunda-feira, 18 set 2023 - 09h59
Brasil
Quinta-feira, 14 set 2023 - 10h03
Líbia
Quarta-feira, 13 set 2023 - 09h31
Global
Segunda-feira, 11 set 2023 - 10h21
Marrocos
Sábado, 9 set 2023 - 10h48
Grécia
Sexta-feira, 8 set 2023 - 10h21
China
Quarta-feira, 6 set 2023 - 16h12
Brasil
Quarta-feira, 6 set 2023 - 09h26
Brasil
Terça-feira, 5 set 2023 - 10h36
Brasil
Segunda-feira, 4 set 2023 - 16h19
China
Segunda-feira, 4 set 2023 - 10h18
Estados Unidos
Quinta-feira, 31 ago 2023 - 10h15
Estados Unidos
Quarta-feira, 30 ago 2023 - 09h21
Cuba e EUA
Terça-feira, 29 ago 2023 - 11h08
Cuba e EUA
Segunda-feira, 28 ago 2023 - 12h45
Brasil
Segunda-feira, 28 ago 2023 - 10h31
Itália
Quinta-feira, 24 ago 2023 - 17h16
República Dominicana
Quinta-feira, 24 ago 2023 - 10h37
Europa
Terça-feira, 22 ago 2023 - 15h56
Caribe
Terça-feira, 22 ago 2023 - 09h58
México e EUA
Segunda-feira, 21 ago 2023 - 15h57
Espanha
Sexta-feira, 18 ago 2023 - 09h40
México e EUA
Quinta-feira, 17 ago 2023 - 15h52
Japão
Terça-feira, 15 ago 2023 - 09h11
Marrocos
Segunda-feira, 14 ago 2023 - 18h20
Havaí
Segunda-feira, 14 ago 2023 - 11h22
Portugal
Quinta-feira, 10 ago 2023 - 16h14
Coreia do Sul e Japão
Quinta-feira, 10 ago 2023 - 11h24
Havaí
Quarta-feira, 9 ago 2023 - 16h30
Global
Terça-feira, 8 ago 2023 - 16h30
Brasil
Terça-feira, 8 ago 2023 - 09h21
Itália
Segunda-feira, 7 ago 2023 - 10h10
China
Quinta-feira, 3 ago 2023 - 09h19
Japão
Quarta-feira, 2 ago 2023 - 12h09
Global
Terça-feira, 1 ago 2023 - 09h53
Japão
Segunda-feira, 31 jul 2023 - 09h11
China
Sexta-feira, 28 jul 2023 - 08h24
Argentina
Quinta-feira, 27 jul 2023 - 15h45
Grécia, Itália, Argélia
Quarta-feira, 26 jul 2023 - 09h03
Filipinas, Taiwan, China
Terça-feira, 25 jul 2023 - 08h57
EUA, Europa, Ásia
Sexta-feira, 21 jul 2023 - 16h50
Brasil
Quinta-feira, 13 jul 2023 - 15h32
Brasil
Quinta-feira, 13 jul 2023 - 11h43
Brasil
Quarta-feira, 12 jul 2023 - 10h05
Islândia
Terça-feira, 11 jul 2023 - 18h31
Peru
Terça-feira, 11 jul 2023 - 09h01
Brasil
Sexta-feira, 7 jul 2023 - 09h05
Holanda e Alemanha
Quinta-feira, 6 jul 2023 - 18h22
Global
Quarta-feira, 5 jul 2023 - 15h12
China
Terça-feira, 4 jul 2023 - 09h24
Estados Unidos
Segunda-feira, 3 jul 2023 - 09h47
Portugal
Sexta-feira, 30 jun 2023 - 09h30
México
Quinta-feira, 29 jun 2023 - 11h32
Estados Unidos
Terça-feira, 27 jun 2023 - 09h44
Tonga
Sábado, 24 jun 2023 - 08h09
Caribe
Quarta-feira, 21 jun 2023 - 09h57
Índia
Terça-feira, 20 jun 2023 - 09h17
Brasil
Segunda-feira, 19 jun 2023 - 09h38
Brasil
Sexta-feira, 16 jun 2023 - 10h02
Índia e Paquistão
Quinta-feira, 15 jun 2023 - 16h19
Brasil
Quinta-feira, 15 jun 2023 - 09h49
Brasil
Quarta-feira, 14 jun 2023 - 10h15
Índia e Paquistão
Terça-feira, 13 jun 2023 - 10h18
Filipinas
Segunda-feira, 12 jun 2023 - 09h45
Noruega
Domingo, 11 jun 2023 - 10h42
Canadá e EUA
Quarta-feira, 7 jun 2023 - 10h52
Global
Terça-feira, 6 jun 2023 - 11h22
Atlântico Sul
Segunda-feira, 5 jun 2023 - 12h01
Japão
Sexta-feira, 2 jun 2023 - 10h52
Oceano Pacífico
Quinta-feira, 1 jun 2023 - 15h28
Filipinas, Taiwan, Japão
Terça-feira, 30 mai 2023 - 08h43
EUA e Caribe
Sexta-feira, 26 mai 2023 - 09h19
Ilha Guam e Filipinas
Quinta-feira, 25 mai 2023 - 10h34
Indonésia
Quarta-feira, 24 mai 2023 - 16h10
Pacífico Ocidental
Terça-feira, 23 mai 2023 - 10h40
México
Segunda-feira, 22 mai 2023 - 17h05
Itália
Segunda-feira, 22 mai 2023 - 10h05
Itália
Sexta-feira, 19 mai 2023 - 12h42
Itália
Quinta-feira, 18 mai 2023 - 09h53
Noruega
Quarta-feira, 17 mai 2023 - 10h26
Canadá e EUA
Terça-feira, 16 mai 2023 - 10h10
Mianmar e Bangladesh
Segunda-feira, 15 mai 2023 - 12h17
Mianmar e Bangladesh
Sexta-feira, 12 mai 2023 - 09h50
Global
Quinta-feira, 11 mai 2023 - 16h54
Dinamarca
Terça-feira, 9 mai 2023 - 09h22
Guatemala
Segunda-feira, 8 mai 2023 - 09h22
Japão
Sexta-feira, 5 mai 2023 - 09h16
Estados Unidos
Quarta-feira, 3 mai 2023 - 10h22
Estados Unidos
Terça-feira, 2 mai 2023 - 10h37
Estados Unidos
Terça-feira, 2 mai 2023 - 07h57
Brasil
Sábado, 29 abr 2023 - 12h08
Brasil
Quinta-feira, 27 abr 2023 - 15h15
EUA e Caribe
Terça-feira, 25 abr 2023 - 09h32
Nova Zelândia
Segunda-feira, 24 abr 2023 - 11h29
Global
Sábado, 22 abr 2023 - 18h35
Brasil
Quinta-feira, 20 abr 2023 - 10h53
Colômbia
Terça-feira, 18 abr 2023 - 11h26
Oceano Pacífico
Sexta-feira, 14 abr 2023 - 10h36
Austrália
Quinta-feira, 13 abr 2023 - 15h02
Rússia
Quarta-feira, 12 abr 2023 - 09h27
Oceano Pacífico
Terça-feira, 11 abr 2023 - 10h39
Brasil
Sábado, 8 abr 2023 - 10h16
Brasil
Terça-feira, 4 abr 2023 - 10h02
Estados Unidos
Segunda-feira, 3 abr 2023 - 09h32
Brasil
Sexta-feira, 31 mar 2023 - 11h03
Brasil
Quinta-feira, 30 mar 2023 - 16h22
Oceano Ártico
Quarta-feira, 29 mar 2023 - 08h36
Estados Unidos
Segunda-feira, 27 mar 2023 - 10h43
Brasil
Domingo, 26 mar 2023 - 17h23
Argentina e Brasil
Quinta-feira, 23 mar 2023 - 11h12
Afeganistão e Paquistão
Quarta-feira, 22 mar 2023 - 10h30
Global
Quarta-feira, 22 mar 2023 - 08h12
EUA e Caribe
Segunda-feira, 20 mar 2023 - 16h07
Equador
Domingo, 19 mar 2023 - 11h11
Antártida
Sábado, 18 mar 2023 - 10h00
Moçambique e Malawi
Quinta-feira, 16 mar 2023 - 11h11
Nova Zelândia
Quinta-feira, 16 mar 2023 - 09h37
Peru e Equador
Terça-feira, 14 mar 2023 - 09h11
Peru e Equador
Segunda-feira, 13 mar 2023 - 15h11
Madagascar e Moçambique
Domingo, 12 mar 2023 - 14h32
Brasil
Quinta-feira, 9 mar 2023 - 10h00
Brasil
Terça-feira, 7 mar 2023 - 10h03
Madagascar e Moçambique
Segunda-feira, 6 mar 2023 - 17h00
Chile
Sexta-feira, 3 mar 2023 - 11h05
Vanuatu e Oceania
Quinta-feira, 2 mar 2023 - 09h31
Antártida
Quarta-feira, 1 mar 2023 - 09h49
Turquia
Terça-feira, 28 fev 2023 - 09h43
Estados Unidos
Segunda-feira, 27 fev 2023 - 12h30
Madagascar e Moçambique
Quarta-feira, 22 fev 2023 - 17h43
Brasil
Segunda-feira, 20 fev 2023 - 10h12
Argentina e Brasil
Sábado, 18 fev 2023 - 11h32
Nova Zelândia
Quinta-feira, 16 fev 2023 - 10h49
Nova Zelândia
Terça-feira, 14 fev 2023 - 16h44
Brasil
Terça-feira, 14 fev 2023 - 10h04
Austrália
Quinta-feira, 9 fev 2023 - 09h51
Turquia e Síria
Terça-feira, 7 fev 2023 - 10h14
Chile
Segunda-feira, 6 fev 2023 - 16h59
Turquia e Síria
Segunda-feira, 6 fev 2023 - 11h18
Brasil
Quarta-feira, 1 fev 2023 - 10h34
Antártida
Terça-feira, 31 jan 2023 - 09h50
Tonga
Segunda-feira, 30 jan 2023 - 10h47
Estados Unidos
Sexta-feira, 27 jan 2023 - 10h39
Antártida
Terça-feira, 24 jan 2023 - 10h31
China
Segunda-feira, 23 jan 2023 - 09h59
Argentina e Brasil
Segunda-feira, 23 jan 2023 - 08h58
Brasil
Quinta-feira, 19 jan 2023 - 12h22
Brasil
Segunda-feira, 16 jan 2023 - 11h21
Europa
Sexta-feira, 13 jan 2023 - 14h40
Estados Unidos
Quarta-feira, 11 jan 2023 - 09h43
Brasil
Segunda-feira, 9 jan 2023 - 11h08
Pacífico Sul
Segunda-feira, 9 jan 2023 - 09h35
Estados Unidos
Quinta-feira, 5 jan 2023 - 08h59
Europa
Quarta-feira, 4 jan 2023 - 08h56
Brasil
Sexta-feira, 30 dez 2022 - 16h57
Estados Unidos
Segunda-feira, 26 dez 2022 - 10h33
Estados Unidos
Sexta-feira, 23 dez 2022 - 09h16
Austrália
Quinta-feira, 22 dez 2022 - 10h50
Brasil
Quarta-feira, 21 dez 2022 - 10h28
Estados Unidos
Terça-feira, 20 dez 2022 - 09h39
Estados Unidos e França
Segunda-feira, 19 dez 2022 - 10h46
Brasil
Quinta-feira, 15 dez 2022 - 09h09
Estados Unidos
Quarta-feira, 14 dez 2022 - 08h12
Guatemala
Segunda-feira, 12 dez 2022 - 10h59
México
Segunda-feira, 12 dez 2022 - 08h37
Argentina e Brasil
Sexta-feira, 9 dez 2022 - 09h19
Indonésia
Terça-feira, 6 dez 2022 - 16h57
Itália
Terça-feira, 6 dez 2022 - 10h13
Havaí
Segunda-feira, 5 dez 2022 - 09h43
Estados Unidos e Caribe
Quinta-feira, 1 dez 2022 - 10h05
Brasil
Quarta-feira, 30 nov 2022 - 09h30
Havaí
Terça-feira, 29 nov 2022 - 10h10
Havaí
Segunda-feira, 28 nov 2022 - 09h50
Estados Unidos
Sexta-feira, 25 nov 2022 - 12h01
Turquia
Quarta-feira, 23 nov 2022 - 10h09
Estados Unidos
Terça-feira, 22 nov 2022 - 10h52
Indonésia
Segunda-feira, 21 nov 2022 - 17h18
Egito
Segunda-feira, 21 nov 2022 - 15h54
Tonga
Sexta-feira, 18 nov 2022 - 09h44
Groenlândia
Segunda-feira, 14 nov 2022 - 09h41
Índia
Sexta-feira, 11 nov 2022 - 08h44
Estados Unidos
Quinta-feira, 10 nov 2022 - 10h28
EUA e Bahamas
Quarta-feira, 9 nov 2022 - 16h28
Brasil
Quarta-feira, 9 nov 2022 - 09h57
Índia
Terça-feira, 8 nov 2022 - 10h47
Antártida
Segunda-feira, 7 nov 2022 - 10h12
Egito
Sexta-feira, 4 nov 2022 - 09h25
Belize e México
Quinta-feira, 3 nov 2022 - 09h52
Brasil
Terça-feira, 1 nov 2022 - 15h38
América Central
Terça-feira, 1 nov 2022 - 09h44
Brasil
Segunda-feira, 31 out 2022 - 10h38
Filipinas
Sexta-feira, 28 out 2022 - 12h27
Egito
Quinta-feira, 27 out 2022 - 11h03
Eslovênia
Terça-feira, 25 out 2022 - 08h52
México
Segunda-feira, 24 out 2022 - 11h01
México
Sexta-feira, 21 out 2022 - 10h05
Austrália
Quinta-feira, 20 out 2022 - 14h55
Nigéria
Quarta-feira, 19 out 2022 - 16h45
Vietnã
Quarta-feira, 19 out 2022 - 09h19
Brasil e Argentina
Terça-feira, 18 out 2022 - 12h05
Ilha de Páscoa
Segunda-feira, 17 out 2022 - 15h47
Filipinas, China, Vietnã
Segunda-feira, 17 out 2022 - 09h35
Brasil
Sábado, 15 out 2022 - 16h21
México
Sexta-feira, 14 out 2022 - 09h08
Brasil
Quinta-feira, 13 out 2022 - 09h55
Itália
Terça-feira, 11 out 2022 - 11h06
Venezuela e Nicarágua
Segunda-feira, 10 out 2022 - 14h12
Tonga
Sexta-feira, 7 out 2022 - 11h08
Estados Unidos
Quinta-feira, 6 out 2022 - 17h30
Brasil
Quarta-feira, 5 out 2022 - 10h08
México
Segunda-feira, 3 out 2022 - 10h33
Estados Unidos
Sexta-feira, 30 set 2022 - 17h10
Estados Unidos
Quarta-feira, 28 set 2022 - 11h11
Cuba e Estados Unidos
Terça-feira, 27 set 2022 - 12h04
Filipinas
Segunda-feira, 26 set 2022 - 17h35
Canadá
Segunda-feira, 26 set 2022 - 09h15
Bermudas e Canadá
Sexta-feira, 23 set 2022 - 10h35
Portugal
Quinta-feira, 22 set 2022 - 10h17
Atlântico Norte
Quarta-feira, 21 set 2022 - 10h07
México
Terça-feira, 20 set 2022 - 10h57
Porto Rico e República Dominicana
Segunda-feira, 19 set 2022 - 16h24
Japão
Segunda-feira, 19 set 2022 - 09h24
México
Sexta-feira, 16 set 2022 - 15h39
Japão
Quinta-feira, 15 set 2022 - 10h15
China
Quarta-feira, 14 set 2022 - 10h15
Groenlândia
Segunda-feira, 12 set 2022 - 09h23
Brasil
Sexta-feira, 9 set 2022 - 09h44
Bermuda e EUA
Quinta-feira, 8 set 2022 - 09h18
Coreia do Sul
Quarta-feira, 7 set 2022 - 11h29
Atlântico Norte e Caribe
Segunda-feira, 5 set 2022 - 10h11
Paquistão
Sexta-feira, 2 set 2022 - 10h59
Japão
Quinta-feira, 1 set 2022 - 09h41
Taiwan
Quarta-feira, 31 ago 2022 - 11h18
Paquistão
Terça-feira, 30 ago 2022 - 08h59
Estados Unidos
Sexta-feira, 26 ago 2022 - 15h36
Espanha
Quinta-feira, 25 ago 2022 - 15h05
Filipinas e China
Quarta-feira, 24 ago 2022 - 10h06
Itália
Segunda-feira, 22 ago 2022 - 09h41
Brasil
Quinta-feira, 18 ago 2022 - 09h41
Estados Unidos
Quarta-feira, 17 ago 2022 - 16h22
Brasil
Quarta-feira, 17 ago 2022 - 10h56
Equador
Terça-feira, 16 ago 2022 - 15h08
Japão
Segunda-feira, 15 ago 2022 - 11h43
Estados Unidos
Sexta-feira, 12 ago 2022 - 10h20
Brasil
Quinta-feira, 11 ago 2022 - 12h20
Brasil
Quarta-feira, 10 ago 2022 - 15h45
Brasil
Terça-feira, 9 ago 2022 - 11h17
Islândia
Sexta-feira, 5 ago 2022 - 09h52
Atlântico Norte
Quinta-feira, 4 ago 2022 - 16h20
Portugal
Quarta-feira, 3 ago 2022 - 09h36
França
Terça-feira, 2 ago 2022 - 11h59
Estados Unidos
Segunda-feira, 1 ago 2022 - 08h32
Alemanha
Quinta-feira, 28 jul 2022 - 16h51
Filipinas
Quarta-feira, 27 jul 2022 - 10h42
Estados Unidos
Quarta-feira, 27 jul 2022 - 09h04
Argentina
Segunda-feira, 25 jul 2022 - 09h58
França
Quinta-feira, 21 jul 2022 - 15h59
Reino Unido
Terça-feira, 19 jul 2022 - 11h44
Reino Unido
Segunda-feira, 18 jul 2022 - 10h11
Europa
Sexta-feira, 15 jul 2022 - 11h02
Finlândia
Quinta-feira, 14 jul 2022 - 08h55
Portugal
Quarta-feira, 13 jul 2022 - 09h35
Japão
Sábado, 9 jul 2022 - 10h31
Alasca
Quinta-feira, 7 jul 2022 - 13h52
Nicarágua e El Salvador
Segunda-feira, 4 jul 2022 - 11h17
Brasil
Quarta-feira, 29 jun 2022 - 11h36
Bangladesh e Índia
Segunda-feira, 27 jun 2022 - 18h31
México
Quinta-feira, 23 jun 2022 - 17h11
Portugal
Quinta-feira, 23 jun 2022 - 10h19
Afeganistão
Quarta-feira, 22 jun 2022 - 09h50
Estados Unidos
Quinta-feira, 16 jun 2022 - 10h03
Brasil
Segunda-feira, 13 jun 2022 - 09h43
Brasil
Sexta-feira, 10 jun 2022 - 10h30
Caribe
Quinta-feira, 9 jun 2022 - 10h00
França e Alemanha
Terça-feira, 7 jun 2022 - 17h06
Austrália
Segunda-feira, 6 jun 2022 - 16h31
EUA e Cuba
Segunda-feira, 6 jun 2022 - 09h27
Brasil
Quinta-feira, 2 jun 2022 - 09h30
México
Terça-feira, 31 mai 2022 - 09h38
Brasil
Segunda-feira, 30 mai 2022 - 16h28
Atlântico Norte e Caribe
Quarta-feira, 25 mai 2022 - 19h54
França
Terça-feira, 24 mai 2022 - 11h08
Estados Unidos
Segunda-feira, 23 mai 2022 - 16h59
Estados Unidos
Sexta-feira, 20 mai 2022 - 08h48
Uruguai
Quinta-feira, 19 mai 2022 - 15h03
Brasil
Quarta-feira, 18 mai 2022 - 09h56
Brasil
Terça-feira, 17 mai 2022 - 10h08
Argentina, Uruguai e Brasil
Segunda-feira, 16 mai 2022 - 14h43
Argentina e Brasil
Quarta-feira, 11 mai 2022 - 11h08
Índia
Segunda-feira, 9 mai 2022 - 14h21
Estados Unidos
Quinta-feira, 5 mai 2022 - 17h40
Brasil
Terça-feira, 3 mai 2022 - 09h50
Atlântico Sul
Sexta-feira, 29 abr 2022 - 09h42
Indonésia
Terça-feira, 26 abr 2022 - 10h43
Mongólia
Sábado, 23 abr 2022 - 08h43
Brasil
Quarta-feira, 20 abr 2022 - 10h50
Portugal
Terça-feira, 19 abr 2022 - 11h06
Brasil
Segunda-feira, 18 abr 2022 - 09h03
Estados Unidos
Sexta-feira, 15 abr 2022 - 10h07
Caribe
Quinta-feira, 14 abr 2022 - 13h08
África do Sul
Quarta-feira, 13 abr 2022 - 15h50
Filipinas e Japão
Terça-feira, 12 abr 2022 - 10h19
Estados Unidos
Segunda-feira, 11 abr 2022 - 15h38
Filipinas
Sexta-feira, 8 abr 2022 - 11h15
Espanha
Quarta-feira, 6 abr 2022 - 10h59
França
Terça-feira, 5 abr 2022 - 17h13
Brasil
Segunda-feira, 4 abr 2022 - 15h04
Estados Unidos
Quinta-feira, 31 mar 2022 - 14h36
Antártida
Quarta-feira, 30 mar 2022 - 14h59
Portugal
Segunda-feira, 28 mar 2022 - 10h09
Brasil
Sexta-feira, 25 mar 2022 - 10h44
Estados Unidos
Quinta-feira, 24 mar 2022 - 08h40
Portugal
Terça-feira, 22 mar 2022 - 09h53
Brasil
Segunda-feira, 21 mar 2022 - 09h37
França e Suíça
Sexta-feira, 18 mar 2022 - 10h06
Japão
Quinta-feira, 17 mar 2022 - 15h53
Espanha e Portugal
Quarta-feira, 16 mar 2022 - 15h52
Antártida
Terça-feira, 15 mar 2022 - 10h04
Madagascar e Moçambique
Sexta-feira, 11 mar 2022 - 09h14
América do Sul e Caribe
Terça-feira, 8 mar 2022 - 09h48
Austrália
Segunda-feira, 7 mar 2022 - 10h35
Antártida
Sábado, 5 mar 2022 - 10h03
Ucrânia
Quinta-feira, 3 mar 2022 - 15h05
Austrália
Quarta-feira, 2 mar 2022 - 10h15
Brasil
Sexta-feira, 25 fev 2022 - 16h22
Indonésia
Sexta-feira, 25 fev 2022 - 08h50
Madagascar
Quarta-feira, 23 fev 2022 - 09h35
Europa
Terça-feira, 22 fev 2022 - 09h12
Brasil
Sexta-feira, 18 fev 2022 - 09h57
Brasil
Quarta-feira, 16 fev 2022 - 09h27
Madagascar
Segunda-feira, 14 fev 2022 - 12h09
Brasil
Sexta-feira, 11 fev 2022 - 10h22
Rússia
Quinta-feira, 10 fev 2022 - 10h34
Rússia
Quarta-feira, 9 fev 2022 - 10h21
Madagascar
Segunda-feira, 7 fev 2022 - 11h06
Antártica
Sexta-feira, 4 fev 2022 - 16h03
Estados Unidos e Cuba
Terça-feira, 1 fev 2022 - 10h02
Brasil
Segunda-feira, 31 jan 2022 - 09h44
Estados Unidos
Domingo, 30 jan 2022 - 17h19
Tonga
Quinta-feira, 27 jan 2022 - 10h02
África
Quarta-feira, 26 jan 2022 - 09h58
Grécia e Turquia
Terça-feira, 25 jan 2022 - 09h26
Brasil
Segunda-feira, 24 jan 2022 - 10h42
Tonga
Sexta-feira, 21 jan 2022 - 10h04
Brasil
Quinta-feira, 20 jan 2022 - 08h37
Tonga
Domingo, 16 jan 2022 - 14h55
Brasil
Sexta-feira, 14 jan 2022 - 17h32
Brasil
Quinta-feira, 13 jan 2022 - 16h54
Austrália
Quinta-feira, 13 jan 2022 - 10h33
Argentina e Brasil
Quarta-feira, 12 jan 2022 - 10h53
Estados Unidos
Terça-feira, 11 jan 2022 - 17h17
Brasil
Segunda-feira, 10 jan 2022 - 11h35
Brasil
Quinta-feira, 6 jan 2022 - 17h01
Estados Unidos
Quinta-feira, 30 dez 2021 - 11h08
Brasil
Terça-feira, 28 dez 2021 - 17h15
Brasil
Segunda-feira, 27 dez 2021 - 10h08
Espanha
Quinta-feira, 23 dez 2021 - 10h29
Califórnia
Terça-feira, 21 dez 2021 - 10h37
Filipinas
Segunda-feira, 20 dez 2021 - 12h06
Filipinas
Sexta-feira, 17 dez 2021 - 14h19
Brasil
Segunda-feira, 13 dez 2021 - 09h24
Estados Unidos
Domingo, 12 dez 2021 - 14h50
Brasil
Sexta-feira, 10 dez 2021 - 12h19
Havaí
Quarta-feira, 8 dez 2021 - 12h26
Indonésia
Segunda-feira, 6 dez 2021 - 11h06
Indonésia
Domingo, 5 dez 2021 - 20h19
Antártida
Quarta-feira, 1 dez 2021 - 11h21
Brasil
Terça-feira, 30 nov 2021 - 09h24
Japão
Sexta-feira, 26 nov 2021 - 10h43
Portugal
Quarta-feira, 24 nov 2021 - 10h24
Espanha
Terça-feira, 23 nov 2021 - 11h53
Canadá e EUA
Sexta-feira, 19 nov 2021 - 16h56
Espanha
Quarta-feira, 17 nov 2021 - 15h03
Estados Unidos
Quarta-feira, 10 nov 2021 - 17h02
Brasil
Segunda-feira, 8 nov 2021 - 16h39
Portugal
Quinta-feira, 4 nov 2021 - 16h11
Japão
Quinta-feira, 4 nov 2021 - 10h12
Espanha
Quarta-feira, 3 nov 2021 - 10h28
Itália
Segunda-feira, 1 nov 2021 - 11h58
Estados Unidos
Quinta-feira, 28 out 2021 - 18h12
Espanha
Terça-feira, 26 out 2021 - 11h15
México
Segunda-feira, 25 out 2021 - 16h57
Brasil
Segunda-feira, 25 out 2021 - 10h06
Japão
Sexta-feira, 22 out 2021 - 10h29
Índia e Nepal
Quinta-feira, 21 out 2021 - 10h54
Índia
Terça-feira, 19 out 2021 - 11h31
Brasil
Segunda-feira, 18 out 2021 - 10h03
China e Filipinas
Quinta-feira, 14 out 2021 - 10h57
México
Quarta-feira, 13 out 2021 - 11h33
Espanha
Segunda-feira, 11 out 2021 - 10h53
Espanha
Quinta-feira, 7 out 2021 - 15h58
Havaí
Terça-feira, 5 out 2021 - 15h34
Omã
Segunda-feira, 4 out 2021 - 10h39
Brasil
Sábado, 2 out 2021 - 15h09
Atlântico Norte
Sexta-feira, 1 out 2021 - 10h01
Ilhas Canárias
Quarta-feira, 29 set 2021 - 14h26
Japão
Terça-feira, 28 set 2021 - 14h59
Brasil
Segunda-feira, 27 set 2021 - 11h04
Ilhas Canárias
Sexta-feira, 24 set 2021 - 10h24
Brasil
Quarta-feira, 22 set 2021 - 16h25
Ilhas Canárias
Terça-feira, 21 set 2021 - 16h42
Ilhas Canárias
Segunda-feira, 20 set 2021 - 10h25
Brasil
Quinta-feira, 16 set 2021 - 11h28
Brasil
Quarta-feira, 15 set 2021 - 10h45
Brasil
Terça-feira, 14 set 2021 - 10h51
China,Taiwan e Filipinas
Segunda-feira, 13 set 2021 - 16h37
Estados Unidos
Segunda-feira, 13 set 2021 - 10h16
Brasil
Sexta-feira, 10 set 2021 - 09h09
México
Quarta-feira, 8 set 2021 - 09h32
Brasil
Segunda-feira, 6 set 2021 - 13h48
Estados Unidos
Domingo, 5 set 2021 - 14h50
Estados Unidos
Quinta-feira, 2 set 2021 - 17h30
Estados Unidos
Quarta-feira, 1 set 2021 - 11h17
Brasil
Terça-feira, 31 ago 2021 - 19h11
México
Segunda-feira, 30 ago 2021 - 15h31
Estados Unidos
Domingo, 29 ago 2021 - 21h43
Cuba e Estados Unidos
Sexta-feira, 27 ago 2021 - 16h01
Portugal
Quarta-feira, 25 ago 2021 - 16h31
Brasil
Segunda-feira, 23 ago 2021 - 19h11
México
Sexta-feira, 20 ago 2021 - 11h03
México
Quinta-feira, 19 ago 2021 - 10h34
França
Quarta-feira, 18 ago 2021 - 11h10
Turquia
Segunda-feira, 16 ago 2021 - 15h52
Estados Unidos
Segunda-feira, 16 ago 2021 - 13h42
Haiti
Segunda-feira, 16 ago 2021 - 09h05
Haiti
Sábado, 14 ago 2021 - 14h50
Itália
Sexta-feira, 13 ago 2021 - 15h42
Brasil
Quinta-feira, 12 ago 2021 - 17h17
Caribe
Quarta-feira, 11 ago 2021 - 09h34
Estados Unidos
Segunda-feira, 9 ago 2021 - 10h42
Grécia
Sexta-feira, 6 ago 2021 - 15h25
Indonésia
Quinta-feira, 5 ago 2021 - 14h45
Europa
Terça-feira, 3 ago 2021 - 10h56
Turquia
Segunda-feira, 2 ago 2021 - 10h41
Brasil
Sexta-feira, 30 jul 2021 - 16h26
Brasil
Sexta-feira, 30 jul 2021 - 10h41
Brasil
Quarta-feira, 28 jul 2021 - 11h19
Japão
Segunda-feira, 26 jul 2021 - 11h16
Brasil
Segunda-feira, 26 jul 2021 - 09h38
África do Sul
Sexta-feira, 23 jul 2021 - 11h26
Estados Unidos
Quinta-feira, 22 jul 2021 - 15h11
Reino Unido
Quarta-feira, 21 jul 2021 - 18h42
China
Quarta-feira, 21 jul 2021 - 10h29
Estados Unidos
Segunda-feira, 19 jul 2021 - 11h13
Alemanha
Sexta-feira, 16 jul 2021 - 10h29
Estados Unidos
Quinta-feira, 15 jul 2021 - 10h48
Brasil
Terça-feira, 13 jul 2021 - 10h01
Estados Unidos
Segunda-feira, 12 jul 2021 - 08h32
Estados Unidos
Sábado, 10 jul 2021 - 16h11
Estados Unidos
Quinta-feira, 8 jul 2021 - 13h22
Finlândia
Quinta-feira, 8 jul 2021 - 10h20
Rússia
Quarta-feira, 7 jul 2021 - 10h55
Estados Unidos
Terça-feira, 6 jul 2021 - 16h53
Cuba e Estados Unidos
Segunda-feira, 5 jul 2021 - 10h45
Caribe
Sábado, 3 jul 2021 - 09h22
Caribe e EUA
Quinta-feira, 1 jul 2021 - 11h17
Canadá e EUA
Quarta-feira, 30 jun 2021 - 16h40
Brasil
Quarta-feira, 30 jun 2021 - 09h53
México
Segunda-feira, 28 jun 2021 - 17h41
Estados Unidos
Sexta-feira, 25 jun 2021 - 16h26
México
Sexta-feira, 25 jun 2021 - 10h42
Japão
Quarta-feira, 23 jun 2021 - 15h46
Califórnia
Terça-feira, 22 jun 2021 - 17h34
Estados Unidos
Segunda-feira, 21 jun 2021 - 16h02
Estados Unidos
Sábado, 19 jun 2021 - 10h41
México
Sexta-feira, 18 jun 2021 - 14h55
Brasil
Quinta-feira, 17 jun 2021 - 15h39
Estados Unidos e Canadá
Terça-feira, 15 jun 2021 - 16h01
Antártida
Segunda-feira, 14 jun 2021 - 17h40
Caribe e EUA
Sexta-feira, 11 jun 2021 - 11h18
Canadá
Quinta-feira, 10 jun 2021 - 10h39
Brasil
Quarta-feira, 9 jun 2021 - 15h53
Brasil
Terça-feira, 8 jun 2021 - 10h13
Filipinas
Segunda-feira, 7 jun 2021 - 09h50
Brasil
Sexta-feira, 4 jun 2021 - 15h17
África
Terça-feira, 1 jun 2021 - 16h05
Oceano Pacífico
Terça-feira, 1 jun 2021 - 12h57
Filipinas
Segunda-feira, 31 mai 2021 - 16h25
Brasil
Segunda-feira, 31 mai 2021 - 10h58
Antártida
Sexta-feira, 28 mai 2021 - 15h51
Índia e Bangladesh
Quinta-feira, 27 mai 2021 - 11h27
Índia
Terça-feira, 25 mai 2021 - 15h53
África
Segunda-feira, 24 mai 2021 - 16h15
Brasil
Segunda-feira, 24 mai 2021 - 10h25
EUA, Caribe e Havaí
Sexta-feira, 21 mai 2021 - 15h05
Brasil
Quarta-feira, 19 mai 2021 - 17h37
Índia
Quarta-feira, 19 mai 2021 - 15h16
Brasil
Segunda-feira, 17 mai 2021 - 15h47
Brasil
Sexta-feira, 14 mai 2021 - 15h46
Brasil
Quarta-feira, 12 mai 2021 - 10h57
Caribe
Terça-feira, 11 mai 2021 - 17h20
México
Quinta-feira, 6 mai 2021 - 16h38
Japão
Quarta-feira, 5 mai 2021 - 11h16
Brasil
Terça-feira, 4 mai 2021 - 18h56
Argentina
Segunda-feira, 3 mai 2021 - 11h07
Caribe
Sábado, 1 mai 2021 - 17h17
Ártico e Antártica
Terça-feira, 27 abr 2021 - 16h04
China e Rússia
Segunda-feira, 26 abr 2021 - 16h20
Brasil
Sexta-feira, 23 abr 2021 - 14h29
Filipinas
Quarta-feira, 21 abr 2021 - 10h50
Filipinas
Segunda-feira, 19 abr 2021 - 10h45
Filipinas
Sexta-feira, 16 abr 2021 - 15h33
Estados Unidos
Quinta-feira, 15 abr 2021 - 14h37
Filipinas
Quarta-feira, 14 abr 2021 - 16h13
Caribe
Terça-feira, 13 abr 2021 - 16h38
Austrália
Segunda-feira, 12 abr 2021 - 14h48
Caribe
Sexta-feira, 9 abr 2021 - 14h51
Austrália
Quinta-feira, 8 abr 2021 - 15h34
Argentina
Quarta-feira, 7 abr 2021 - 15h09
Indonésia e Timor Leste
Segunda-feira, 5 abr 2021 - 10h05
Brasil
Quinta-feira, 1 abr 2021 - 11h22
Japão
Quinta-feira, 1 abr 2021 - 09h55
Austrália
Quinta-feira, 25 mar 2021 - 10h15
Islândia
Quarta-feira, 24 mar 2021 - 11h08
Islândia
Segunda-feira, 22 mar 2021 - 10h58
Itália
Sexta-feira, 19 mar 2021 - 16h09
China
Quarta-feira, 17 mar 2021 - 15h55
Estados Unidos
Terça-feira, 16 mar 2021 - 14h36
China
Segunda-feira, 15 mar 2021 - 14h32
Índia
Quarta-feira, 10 mar 2021 - 13h38
Itália
Segunda-feira, 8 mar 2021 - 16h41
Pacífico Sul
Segunda-feira, 8 mar 2021 - 14h39
Grécia
Quinta-feira, 4 mar 2021 - 09h40
Antártida
Segunda-feira, 1 mar 2021 - 10h09
Brasil
Sexta-feira, 26 fev 2021 - 10h16
Estados Unidos
Quinta-feira, 25 fev 2021 - 10h27
Antártida
Quarta-feira, 24 fev 2021 - 15h46
Itália
Terça-feira, 23 fev 2021 - 16h26
Filipinas
Terça-feira, 23 fev 2021 - 09h37
Estados Unidos
Segunda-feira, 22 fev 2021 - 13h33
Itália
Sexta-feira, 19 fev 2021 - 09h29
Itália
Quinta-feira, 18 fev 2021 - 11h35
Antártida
Quarta-feira, 17 fev 2021 - 10h52
Estados Unidos
Segunda-feira, 15 fev 2021 - 17h06
Pacífico Sul
Segunda-feira, 15 fev 2021 - 09h51
Portugal
Terça-feira, 9 fev 2021 - 11h33
Brasil
Sexta-feira, 5 fev 2021 - 15h30
Ilhas Fiji
Sexta-feira, 5 fev 2021 - 13h45
Brasil e Uruguai
Quarta-feira, 3 fev 2021 - 10h44
Estados Unidos
Terça-feira, 2 fev 2021 - 10h38
Guiana e Brasil
Segunda-feira, 1 fev 2021 - 09h22
Indonésia
Sexta-feira, 29 jan 2021 - 17h18
Brasil
Quinta-feira, 28 jan 2021 - 17h09
Japão
Terça-feira, 26 jan 2021 - 10h12
Brasil
Segunda-feira, 25 jan 2021 - 11h05
Moçambique
Segunda-feira, 25 jan 2021 - 09h34
Filipinas e Indonésia
Quinta-feira, 21 jan 2021 - 13h45
Brasil
Quarta-feira, 20 jan 2021 - 09h30
Madagascar e Moçambique
Segunda-feira, 18 jan 2021 - 09h33
Indonésia
Sexta-feira, 15 jan 2021 - 14h45
Japão
Quarta-feira, 13 jan 2021 - 15h05
Espanha
Segunda-feira, 11 jan 2021 - 10h36
Argentina
Quinta-feira, 7 jan 2021 - 12h51
Atlântico Sul
Terça-feira, 5 jan 2021 - 11h02
Austrália
Segunda-feira, 4 jan 2021 - 09h45
Brasil
Quarta-feira, 30 dez 2020 - 10h03
Croácia
Terça-feira, 29 dez 2020 - 10h06
Madagascar e Moçambique
Segunda-feira, 28 dez 2020 - 09h33
Estados Unidos
Quarta-feira, 23 dez 2020 - 14h05
Estados Unidos
Terça-feira, 22 dez 2020 - 10h06
Ilhas Fiji
Segunda-feira, 21 dez 2020 - 13h05
Brasil
Sexta-feira, 18 dez 2020 - 11h13
Antártida
Quinta-feira, 17 dez 2020 - 10h32
Pacífico Sul
Terça-feira, 15 dez 2020 - 10h31
Indonésia
Quinta-feira, 10 dez 2020 - 10h25
Portugal
Sexta-feira, 4 dez 2020 - 09h45
Portugal
Quinta-feira, 3 dez 2020 - 16h26
Brasil
Quarta-feira, 2 dez 2020 - 15h17
EUA e Caribe
Terça-feira, 1 dez 2020 - 08h58
Austrália
Segunda-feira, 30 nov 2020 - 10h54
Turquia e Caribe
Sexta-feira, 27 nov 2020 - 10h45
Índia
Terça-feira, 24 nov 2020 - 16h02
Itália
Segunda-feira, 23 nov 2020 - 15h03
Índia
Quinta-feira, 19 nov 2020 - 17h05
Atlântico Sul
Quarta-feira, 18 nov 2020 - 11h34
América Central
Terça-feira, 17 nov 2020 - 15h52
América Central
Segunda-feira, 16 nov 2020 - 08h37
Estados Unidos
Sexta-feira, 13 nov 2020 - 14h19
Filipinas e Vietnã
Quinta-feira, 12 nov 2020 - 19h28
Açores e Ilha da Madeira
Quinta-feira, 12 nov 2020 - 16h05
Estados Unidos e Cuba
Segunda-feira, 9 nov 2020 - 17h01
Filipinas
Sexta-feira, 6 nov 2020 - 13h45
América Central e EUA
Quarta-feira, 4 nov 2020 - 17h02
Filipinas
Terça-feira, 3 nov 2020 - 19h00
América Central
Terça-feira, 3 nov 2020 - 16h49
Estados Unidos
Quinta-feira, 29 out 2020 - 11h27
México e EUA
Terça-feira, 27 out 2020 - 15h59
Brasil
Segunda-feira, 26 out 2020 - 15h48
México e EUA
Segunda-feira, 26 out 2020 - 10h30
Brasil
Sexta-feira, 23 out 2020 - 17h18
Bermudas
Quinta-feira, 22 out 2020 - 17h36
Vietnã
Quarta-feira, 21 out 2020 - 14h20
Portugal
Terça-feira, 20 out 2020 - 16h19
Brasil
Segunda-feira, 19 out 2020 - 11h06
Brasil
Sexta-feira, 16 out 2020 - 11h37
Havaí
Quinta-feira, 15 out 2020 - 10h13
Vietnã e Camboja
Quarta-feira, 14 out 2020 - 17h16
Paraguai
Terça-feira, 13 out 2020 - 09h26
Estados Unidos
Domingo, 11 out 2020 - 22h10
Estados Unidos
Sexta-feira, 9 out 2020 - 16h21
Japão
Quinta-feira, 8 out 2020 - 13h38
México e EUA
Quarta-feira, 7 out 2020 - 16h36
México, Cuba e EUA
Terça-feira, 6 out 2020 - 17h31
Portugal
Sexta-feira, 2 out 2020 - 15h16
Brasil
Quarta-feira, 30 set 2020 - 17h37
Estados Unidos e Alasca
Quarta-feira, 30 set 2020 - 16h12
Paraguai
Terça-feira, 29 set 2020 - 15h44
Estados Unidos
Sexta-feira, 25 set 2020 - 16h16
Oceano Ártico
Quinta-feira, 24 set 2020 - 16h47
Brasil
Quarta-feira, 23 set 2020 - 17h41
Japão
Quarta-feira, 23 set 2020 - 10h49
Estados Unidos
Segunda-feira, 21 set 2020 - 10h58
Bermudas
Sexta-feira, 18 set 2020 - 08h47
Estados Unidos
Quarta-feira, 16 set 2020 - 17h29
Brasil
Quarta-feira, 16 set 2020 - 10h26
EUA, Caribe, México
Terça-feira, 15 set 2020 - 15h10
Bermudas
Sexta-feira, 11 set 2020 - 16h32
Brasil
Terça-feira, 8 set 2020 - 16h04
Estados Unidos
Segunda-feira, 7 set 2020 - 10h47
Península da Coreia
Terça-feira, 1 set 2020 - 15h27
Estados Unidos
Quinta-feira, 27 ago 2020 - 15h29
Estados Unidos
Quarta-feira, 26 ago 2020 - 16h03
Península da Coreia
Segunda-feira, 24 ago 2020 - 16h23
EUA e Caribe
Segunda-feira, 24 ago 2020 - 09h16
México
Quinta-feira, 20 ago 2020 - 10h05
México
Terça-feira, 18 ago 2020 - 10h34
Estados Unidos
Segunda-feira, 17 ago 2020 - 13h42
Austrália
Sexta-feira, 14 ago 2020 - 16h34
Caribe
Quinta-feira, 13 ago 2020 - 10h47
Canadá
Quarta-feira, 12 ago 2020 - 15h57
China
Terça-feira, 11 ago 2020 - 14h14
México
Terça-feira, 11 ago 2020 - 09h55
Brasil
Segunda-feira, 10 ago 2020 - 09h26
Japão
Sexta-feira, 7 ago 2020 - 09h24
Portugal
Quinta-feira, 6 ago 2020 - 14h44
Estados Unidos
Quarta-feira, 5 ago 2020 - 10h11
Estados Unidos
Segunda-feira, 3 ago 2020 - 17h31
América do Sul
Segunda-feira, 3 ago 2020 - 10h56
Ásia
Terça-feira, 28 jul 2020 - 14h33
Estados Unidos
Segunda-feira, 27 jul 2020 - 15h42
Paraguai, Argentina e Brasil
Quinta-feira, 23 jul 2020 - 17h41
Brasil
Terça-feira, 21 jul 2020 - 14h22
Argentina, Paraguai e Brasil
Segunda-feira, 20 jul 2020 - 16h40
Sibéria
Quinta-feira, 16 jul 2020 - 08h27
Estados Unidos
Sexta-feira, 10 jul 2020 - 14h25
Estados Unidos
Sexta-feira, 3 jul 2020 - 11h41
Brasil
Quarta-feira, 1 jul 2020 - 09h23
Brasil
Terça-feira, 30 jun 2020 - 16h27
Argentina
Segunda-feira, 29 jun 2020 - 10h12
México
Terça-feira, 23 jun 2020 - 17h16
Uruguai
Sexta-feira, 19 jun 2020 - 09h19
Nova Zelândia
Quinta-feira, 18 jun 2020 - 16h41
Brasil
Sexta-feira, 12 jun 2020 - 15h30
Estados Unidos
Quarta-feira, 10 jun 2020 - 17h02
Estados Unidos
Terça-feira, 9 jun 2020 - 16h26
Estados Unidos
Segunda-feira, 8 jun 2020 - 09h38
México
Quarta-feira, 3 jun 2020 - 10h20
Estados Unidos
Quinta-feira, 28 mai 2020 - 09h51
EUA, Caribe, México
Sexta-feira, 22 mai 2020 - 10h27
Índia e Bangladesh
Quinta-feira, 21 mai 2020 - 12h10
Austrália
Quinta-feira, 21 mai 2020 - 10h31
Índia e Bangladesh
Terça-feira, 19 mai 2020 - 10h15
Estados Unidos e Bahamas
Sexta-feira, 15 mai 2020 - 13h45
Filipinas
Quinta-feira, 14 mai 2020 - 15h55
Havaí
Terça-feira, 12 mai 2020 - 15h02
Antártida
Terça-feira, 5 mai 2020 - 10h46
Brasil
Quarta-feira, 29 abr 2020 - 10h09
Santa Catarina
Terça-feira, 28 abr 2020 - 13h50
Austrália
Segunda-feira, 27 abr 2020 - 10h23
Chile
Quinta-feira, 23 abr 2020 - 10h46
Índia
Quarta-feira, 22 abr 2020 - 10h45
Indonésia
Quarta-feira, 15 abr 2020 - 09h56
Estados Unidos
Terça-feira, 14 abr 2020 - 09h50
Estados Unidos
Segunda-feira, 13 abr 2020 - 09h48
Estados Unidos
Quinta-feira, 9 abr 2020 - 11h50
Ilhas Fiji
Quarta-feira, 8 abr 2020 - 10h29
Ilhas Vanuatu
Segunda-feira, 6 abr 2020 - 19h48
Ilhas Salomão e Vanuatu
Sexta-feira, 3 abr 2020 - 17h59
Europa
Segunda-feira, 30 mar 2020 - 10h51
Estados Unidos
Sexta-feira, 13 mar 2020 - 10h51
Brasil
Quinta-feira, 12 mar 2020 - 14h33
Estados Unidos
Quarta-feira, 11 mar 2020 - 12h15
Estados Unidos
Sexta-feira, 6 mar 2020 - 13h00
São Paulo
Quinta-feira, 5 mar 2020 - 12h50
China
Terça-feira, 3 mar 2020 - 12h22
Rio de Janeiro
Segunda-feira, 2 mar 2020 - 09h57
Peru
Sexta-feira, 28 fev 2020 - 11h01
São Paulo
Quinta-feira, 27 fev 2020 - 12h26
São Paulo
Segunda-feira, 24 fev 2020 - 09h33
Pacífico Sul
Sexta-feira, 21 fev 2020 - 13h57
Estados Unidos e Canadá
Quinta-feira, 20 fev 2020 - 14h22
Austrália
Terça-feira, 18 fev 2020 - 10h47
Reino Unido
Segunda-feira, 17 fev 2020 - 15h39
Austrália
Quinta-feira, 13 fev 2020 - 14h57
Europa
Terça-feira, 11 fev 2020 - 12h15
Brasil
Segunda-feira, 10 fev 2020 - 10h39
Turquia
Quarta-feira, 5 fev 2020 - 11h56
Madagascar
Terça-feira, 4 fev 2020 - 11h55
Brasil
Segunda-feira, 3 fev 2020 - 11h29
Escócia e Inglaterra
Terça-feira, 28 jan 2020 - 11h33
Austrália
Terça-feira, 21 jan 2020 - 11h31
Filipinas
Segunda-feira, 13 jan 2020 - 11h21
Nova Zelândia
Segunda-feira, 6 jan 2020 - 14h50
Brasil
Quinta-feira, 2 jan 2020 - 10h29
Ilhas Maurício e Madagascar
Segunda-feira, 30 dez 2019 - 11h03
Chile
Quinta-feira, 26 dez 2019 - 14h30
Filipinas
Quinta-feira, 26 dez 2019 - 11h09
Filipinas
Segunda-feira, 23 dez 2019 - 10h46
Espanha
Sexta-feira, 20 dez 2019 - 10h32
Portugal
Quinta-feira, 19 dez 2019 - 11h39
Portugal e Açores
Quarta-feira, 18 dez 2019 - 11h17
Filipinas
Segunda-feira, 16 dez 2019 - 09h48
Rio Grande do Sul
Sexta-feira, 13 dez 2019 - 10h32
Anel de Fogo do Pacífico
Terça-feira, 10 dez 2019 - 10h05
Iêmen e Somália
Quinta-feira, 5 dez 2019 - 12h50
Austrália e Argentina
Quinta-feira, 21 nov 2019 - 13h13
Brasil
Terça-feira, 19 nov 2019 - 16h33
Brasil
Quinta-feira, 14 nov 2019 - 16h20
Índia e Bangladesh
Segunda-feira, 11 nov 2019 - 16h44
Austrália
Sexta-feira, 8 nov 2019 - 11h13
Índia e Bangladesh
Quinta-feira, 7 nov 2019 - 12h33
Vietnã e Japão
Quarta-feira, 6 nov 2019 - 13h18
Estados Unidos
Terça-feira, 5 nov 2019 - 11h21
Califórnia
Quinta-feira, 31 out 2019 - 13h36
Brasil e Argentina
Terça-feira, 29 out 2019 - 12h19
Omã e Emirados Árabes Unidos
Segunda-feira, 28 out 2019 - 16h11
Filipinas
Quinta-feira, 17 out 2019 - 13h09
Califórnia
Segunda-feira, 14 out 2019 - 16h15
Japão
Segunda-feira, 14 out 2019 - 15h14
Arquipélago dos Açores
Terça-feira, 1 out 2019 - 15h47
Indonésia e Paquistão
Quinta-feira, 26 set 2019 - 18h57
Japão e Coreia do Sul
Segunda-feira, 23 set 2019 - 15h05
Índia, Paquistão, Oman
Estados Unidos
Quinta-feira, 19 set 2019 - 12h39
Bermudas
Quarta-feira, 18 set 2019 - 12h10
Bermudas, Bahamas, EUA
Domingo, 15 set 2019 - 19h01
Ásia
Sexta-feira, 13 set 2019 - 18h48
Santa Catarina
Quinta-feira, 12 set 2019 - 12h58
Bahamas e EUA
Terça-feira, 10 set 2019 - 09h26
Japão e Coreias
Segunda-feira, 9 set 2019 - 14h35
Brasil
Quinta-feira, 5 set 2019 - 12h41
Japão
Quarta-feira, 4 set 2019 - 18h15
EUA e Bahamas
Terça-feira, 3 set 2019 - 16h08
Itália
Sexta-feira, 30 ago 2019 - 10h06
EUA e Bahamas
Quinta-feira, 29 ago 2019 - 12h25
Estados Unidos e Canadá
Quarta-feira, 28 ago 2019 - 10h43
Caribe
Segunda-feira, 26 ago 2019 - 11h36
Brasil
Sexta-feira, 23 ago 2019 - 15h30
Estados Unidos
Quarta-feira, 21 ago 2019 - 13h18
Ilhas Canárias
Terça-feira, 20 ago 2019 - 16h53
Brasil
Terça-feira, 20 ago 2019 - 13h48
Santa Catarina
Segunda-feira, 19 ago 2019 - 15h22
Brasil
Sexta-feira, 16 ago 2019 - 15h07
Japão
Quarta-feira, 14 ago 2019 - 14h21
Nova Zelândia
Segunda-feira, 12 ago 2019 - 14h24
México
Segunda-feira, 12 ago 2019 - 09h58
China
Sexta-feira, 9 ago 2019 - 16h52
Taiwan
Quinta-feira, 8 ago 2019 - 14h28
Europa
Terça-feira, 6 ago 2019 - 11h30
Japão, Taiwan, Filipinas e China
Segunda-feira, 5 ago 2019 - 11h14
Japão
Sexta-feira, 2 ago 2019 - 09h59
China
Quinta-feira, 1 ago 2019 - 12h53
Hawai
Quarta-feira, 31 jul 2019 - 14h51
Japão
Terça-feira, 30 jul 2019 - 10h20
Oceano Pacífico
Segunda-feira, 29 jul 2019 - 09h30
Recife
Sexta-feira, 26 jul 2019 - 07h57
Brasil e Peru
Sábado, 20 jul 2019 - 12h19
Bahia
Sábado, 20 jul 2019 - 11h14
Grécia
Sexta-feira, 19 jul 2019 - 15h31
Filipinas e Taiwan
Quarta-feira, 17 jul 2019 - 09h34
Índia, Nepal e Bangladesh
Terça-feira, 16 jul 2019 - 10h18
Bahia
Sexta-feira, 12 jul 2019 - 09h21
Brasil
Segunda-feira, 8 jul 2019 - 09h34
Rio Grande do Sul e Santa Catarina
Sábado, 6 jul 2019 - 22h33
Itália
Quinta-feira, 4 jul 2019 - 09h46
Rio Grande do Sul
Quinta-feira, 27 jun 2019 - 12h18
México
Quarta-feira, 26 jun 2019 - 10h09
Argentina
Segunda-feira, 17 jun 2019 - 11h06
Nova Zelândia
Domingo, 16 jun 2019 - 09h42
Minas Gerais
Quarta-feira, 12 jun 2019 - 10h43
Rio Grande do Sul
Segunda-feira, 10 jun 2019 - 08h05
Himalaia
Sexta-feira, 7 jun 2019 - 08h38
