Siga-nos
Terça-feira, 3 nov 2020 - 16h49
Por Maria Clara Machado

Furacão Eta chega extremamente perigoso com categoria 4 à Nicarágua

O poderoso furacão Eta, o décimo segundo da temporada de 2020, ameaça a costa da Nicarágua e várias partes da América Central com ventos devastadores próximos a 220 km/h. Eta se formou durante o fim de semana sobre as águas do Caribe e evoluiu atingindo a categoria 4, na escala Saffir-Simpson nesta terça-feira. Meteorologistas comparam Eta ao devastador furacão Mitch.

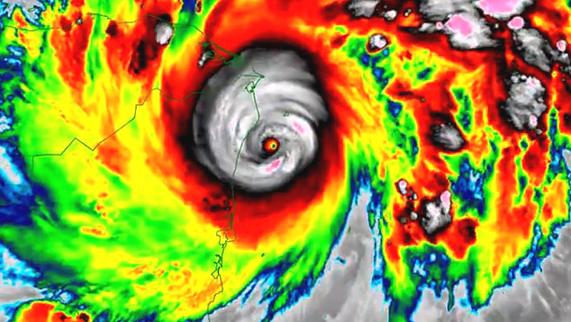
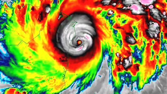
Imagem de satélite mostra o olho do perigoso furacão Eta muito perto da costa da Nicaraguá nesta terça-feira. O furacão vai provocar chuvas torrenciais e já comparado ao furacão Mitch de 1998. Crédito: NOAA.
Imagem de satélite mostra o olho do perigoso furacão Eta muito perto da costa da Nicaraguá nesta terça-feira. O furacão vai provocar chuvas torrenciais e já comparado ao furacão Mitch de 1998. Crédito: NOAA.

O Centro Nacional de Furacões dos Estados Unidos (NHC) informa que o perigoso furacão Eta está muito perto de tocar o solo, apenas 35 quilômetros ao sul-sudeste de Puerto Cabezas, no nordeste da Nicarágua, no boletim das 15 horas desta terça-feira. O NHC alerta que Eta é extremamente perigoso resultando em surtos de tempestade com risco à vida, ventos catastróficos, deslizamentos e inundações em muitas partes da América Central.

Estão na área de impacto de direto de Eta, a Nicarágua, Honduras, El Salvador, Guatemala, Belize, além de áreas do Panamá, da Costa Rica e do México. Um aviso e um alerta de furacão estão em vigor para a costa da Nicarágua até a fronteira de Honduras e a costa nordeste de Honduras.

Imagem de satélite mostra toda a área de cobertura atual do grande furacão Eta, que encontra-se na categoria 4, nesta terça-feira. Crédito: NOAA.
Imagem de satélite mostra toda a área de cobertura atual do grande furacão Eta, que encontra-se na categoria 4, nesta terça-feira. Crédito: NOAA.

Chuvas torrenciais e inundações catastróficas são as maiores preocupações
A projeção do NHC é que o centro de Eta atinja a costa da Nicarágua nas próximas horas e comece a se mover pelo interior, sobre o norte do país amanhã e depois sobre partes centrais de Honduras na quinta-feira.

Trajeto previsto para o furacão Eta nos próximos dias. Crédito: NHC.
Trajeto previsto para o furacão Eta nos próximos dias. Crédito: NHC.

A quantidade de chuva será arrasadora, alertam os meteorologistas. Grande parte da Nicarágua e Honduras irá receber entre 380 e 635 mm de chuva, podendo alcançar 890 mm em áreas isoladas, até o domingo.

O leste da Guatemala e Belize poderá ter mais de 500 mm de chuva, enquanto os valores poderão variar de 255 mm a 380 mm em partes do Panamá e da Costa Rica e até 255 mm em El Salvador e a costa do México.

Até a Jamaica, o sul do Haiti e as Ilhas Cayman sofrem a influência do grande furacão Eta, com previsão de chuva de 70 a 125 mm.

O nível da maré poderá subir entre 4 a 6,5 metros ao longo da costa da Nicarágua, com ondas grandes e destrutivas. Os swells gerados por Eta deverão afetar a costa leste da América Central e a Península de Yucatán nos próximos dias, também avisa o NHC.

A aproximação de Eta já provocava tempestades, inundações, queda de árvores e telhados e postes arrancados em Puerto Cabezas, durante a manhã de hoje. A cidade é uma das regiões mais pobres da Nicarágua.

Assim amanheceu Bilwi, na Nicaraguá. A aproximação de Eta provoca ventos intensos desde cedo na região. Crédito: Imagem divulgada pelo twitter @gilbertoartola
Assim amanheceu Bilwi, na Nicaraguá. A aproximação de Eta provoca ventos intensos desde cedo na região. Crédito: Imagem divulgada pelo twitter @gilbertoartola

Eta é comparado ao devastador furacão Mitch
Eta é a vigésima oitava tempestade tropical nomeada nesta temporada fazendo de 2020 um ano recorde em números de sistemas, superando a temporada de 2005.

Além disso, Eta tem potencial para se igualar a um dos mais intensos fenômenos que já atingiu a Nicarágua, sendo comparado ao furacão Mitch de 1998, que na ocasião matou mais de 10 mil pessoas.

Acesse também:

NASA mostra do alto o super tufão Goni que superou ventos de 300 km/h



Procure no Painel