Siga-nos
Terça-feira, 28 set 2021 - 14h59
Por Maria Clara Machado

Poderoso tufão Mindulle está rumo ao Japão e passará perto de Tóquio

O poderoso tufão Mindulle avança sobre o oceano Pacífico produzindo ventos na ordem de 180 km/h com rajadas mais altas e segue rumo ao arquipélago do Japão. Mindulle é equivalente a um furacão categoria 3 e ainda deve ficar mais forte nos próximos dias.

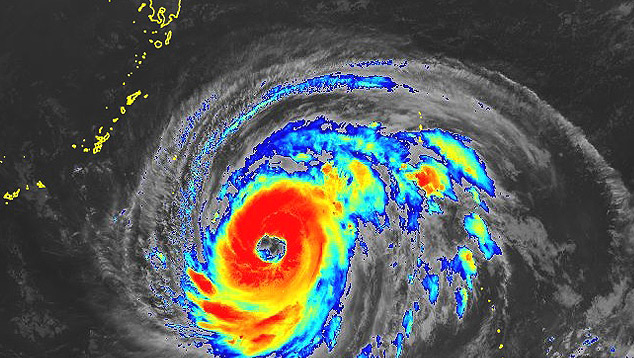
Imagem de satélite mostra a posição do tufão Mindulle sobre o Pacífico, ao sul do Japão, nesta terça-feira. Crédito: Satélite Himawari-8/9/JMA
Imagem de satélite mostra a posição do tufão Mindulle sobre o Pacífico, ao sul do Japão, nesta terça-feira. Crédito: Satélite Himawari-8/9/JMA

Japão está em alerta
A Agência Meteorológica do Japão (JMA) prevê uma intensificação do tufão nos próximos dois dias e alerta para ventos violentos, chuvas pesadas e mar revolto.

Mindulle está próximo a ilha isolada de Okinotorishima, no extremo sul do país, mas as projeções indicam que o tufão segue rumo ao norte e ao noroeste e passará ao largo de Tóquio, sem tocar diretamente o solo, no final da semana.

O Joint Typhoon Warning Center (JTWC) também monitora a tormenta e estima rajadas de vento de até 210 km/h na quinta-feira, dia 30.

Os ventos estarão perto de 160 km/h quando Mindulle passar próximo à Tóquio e às ilhas Izu, paralelo à principal ilha Honshu, na sexta-feira, dia 1, alerta o JTWC.

Trajeto e estimativa de ventos previstos para Mindulle nos próximos dias. Crédito: JTWC
Trajeto e estimativa de ventos previstos para Mindulle nos próximos dias. Crédito: JTWC

Ondas de até 8 metros
Ondas altas de 6 a 8 metros de altura são esperadas na área entre as ilhas Daito, no mar das Filipinas, ao sudeste de Okinawa entre hoje e a quinta-feira.

A forte agitação do mar também é esperada próximo às ilhas Izu, em Tóquio, a partir da quinta-feira e na região de Kanto, na sexta-feira e no sábado, dias 1 e 2.

O último tufão a se formar sobre o Pacífico foi o supertufão Chanthu que atingiu a categoria 5 na escala de ventos antes de passar pelas Filipinas e Taiwan no começo de setembro. A temporada de tufões no Pacífico de 2021 já nomeou cinco tufões até o momento.

Acesse também:

Supertufão Chanthu teve surpreendente evolução, afirmam cientistas da NOAA



Procure no Painel