Siga-nos
Quinta-feira, 8 ago 2019 - 14h28
Por Maria Clara Machado

Super tufão Lekima avança para Taiwan com ventos de 234 km/h

O super tufão Lekima se intensificou nas últimas 24 horas e avança pelo oceano Pacífico gerando ventos máximos de 234 km/h. Taiwan está na rota de Lekima e se prepara para a chegada do grande tufão ainda nesta quinta-feira. A tormenta é a número 9 da temporada de tempestades e tufões na região da Ásia este ano.

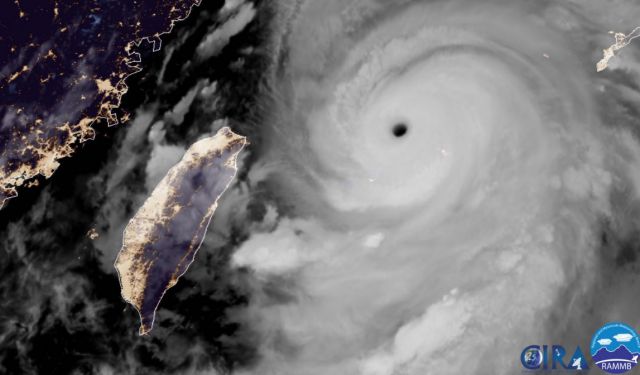
Super tufão Lekima avança rumo ao norte de Taiwan com ventos máximos sustentados de 234 km/h nesta quinta-feira.
Super tufão Lekima avança rumo ao norte de Taiwan com ventos máximos sustentados de 234 km/h nesta quinta-feira.

O super tufão Lekima deve tocar Taiwan pela costa nordeste da ilha, informaram as autoridades. O alerta é total para ventos fortes e chuvas torrenciais na parte norte, inclusive na capital Taipei, além de outro alerta emitido para os marinheiros da costa sul e leste de Taiwan.

Com a expectativa e temores de inundações e deslizamentos de terra, centenas de pessoas, muitos turistas, foram retiradas da costa leste da ilha. Autoridades ordenaram que mercados, empresas e escolas fiquem fechadas nesta sexta-feira, dia 9.

Enquanto Taiwan aguarda a aproximação e chegada de Lekima, um terremoto de magnitude 5.8 atingiu a costa nordeste mais cedo, provocando corte de energia elétrica em milhares de residências.

O Departamento de Meteorologia prevê que o super tufão Lekima passará por Taiwan e depois seguirá em direção ao leste da China, se aproximando de Xangai, até o fim de semana. No caminho, Lekima também vai impactar ilhas ao sul do Japão.

Trajetória do super tufão Lekima nos próximos dias. Crédito: Agência de Meteorologia do Japão.
Trajetória do super tufão Lekima nos próximos dias. Crédito: Agência de Meteorologia do Japão.

Este é o terceiro sistema a se formar sobre as águas do Pacífico na região da Ásia em pouco mais de uma semana. O tufão Francisco atingiu o sul do Japão na semana passada e outra tempestade tropical batizada de Krosa, ganha força também com trajetória rumo às ilhas ao sul do Japão.



Procure no Painel