Siga-nos
Segunda-feira, 19 abr 2021 - 10h45
Por Maria Clara Machado

Super tufão Surigae é monstruoso e obriga evacuação de milhares nas Filipinas

O monstruoso tufão Surigae está próximo do leste das Filipinas e hoje provoca ventos máximos sustentados de 230 km/h e rajadas mais altas. Surigae atingiu a categoria 4 e é um super tufão, como foi alertado pelos serviços de meteorologia. Mais de cem mil pessoas já evacuaram por precaução as regiões leste e centrais das Filipinas, que sofre os impactos do super tufão.

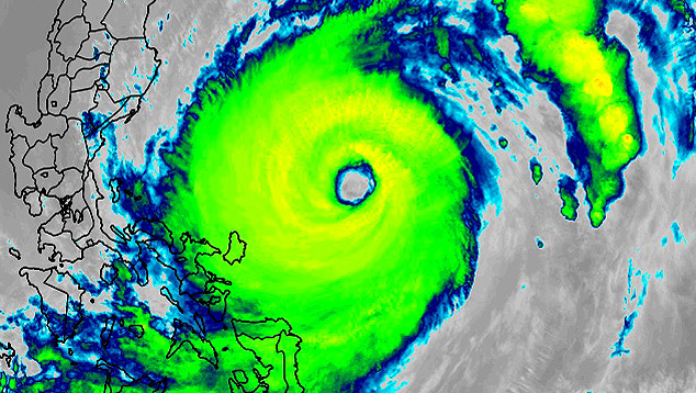
Imagem de satélite mostra o monstruoso super tufão Surigae ao largo das Filipinas. Áreas costeiras poderão ter chuva pesada e mar muito alto. Crédito: RAMMB/CIRA
Imagem de satélite mostra o monstruoso super tufão Surigae ao largo das Filipinas. Áreas costeiras poderão ter chuva pesada e mar muito alto. Crédito: RAMMB/CIRA

Surigae é potencialmente perigoso
As autoridades reportaram a morte de uma pessoa durante a queda de uma árvore na província de Leyte e o desaparecimento de outra na província de Samar do Norte. O centro super tufão Surigae encontrava-se a 500 quilômetros ao leste de Infanta, na província de Quezon, mais ao norte do arquipélago, na manhã desta segunda-feira, dia 19.

O tufão não deve atingir a parte territorial das Filipinas ficando sobre o mar, mas os ventos fortes podem se estender até 440 km do centro de Surigae, também chamado localmente de Bising.

Os ventos ainda serão ameaçadores variando entre 212 e 194 km/h até a quinta-feira, dia 22, de acordo com o Centro de Alerta de Tufão do Pacífico (JTWC).

Mesmo distante da costa, o super tufão provoca nuvens de chuva e ventos fortes em áreas das Filipinas. As informações divulgadas pelas autoridades foram de 22 aldeias inundadas e queda de energia elétrica em quatro províncias.

Mais de três mil pessoas ficaram presas em portos no domingo, depois da guarda costeira suspender as travessias marítimas com a aproximação de Surigae.

Trajeto do super tufão Surigae nos próximos dias. Crédito: JTWC
Trajeto do super tufão Surigae nos próximos dias. Crédito: JTWC

Alertas em vigor
O PAGASA prevê chuvas pesadas hoje e amanhã entre a região de Bicol, Samar e a parte norte de Leyte com probabilidade de inundações e deslizamentos de terra.

A viagem marítima é arriscada para todos os tipos de embarcações com mar agitado em extensa área. Na costa leste de Luzon, por exemplo, as ondas poderão atingir picos entre 5 a 12 metros e no norte e leste de Visayas orientais poderão chegar a 7 metros. O mar também ficará muito agitado em várias áreas com ondas chegando a 4 metros.

O JTWC prevê que a tormenta continue se movendo lentamente rumo ao noroeste se afastando de vez das Filipinas a partir da quinta-feira. Surigae deve se deslocar ao largo de Taiwan afastado no oceano, sem apresentar riscos diretamente ao país.

Acompanhe em tempo real as atualizações do tufão Surigae aqui!



Procure no Painel