Siga-nos
Terça-feira, 29 out 2024 - 15h47
Por Maria Clara Machado

Tufão Kong Rey se intensifica no mar das Filipinas e vai virar supertufão rumo à Taiwan

Kong Rey, localmente chamado de tufão Leon, nas Filipinas, já é uma poderosa tormenta, produzindo ventos sustentados acima de 200 km/h nesta terça-feira, dia 29. O tufão ganha força ao largo da costa leste das Filipinas e deve virar supertufão ao se aproximar de Taiwan.

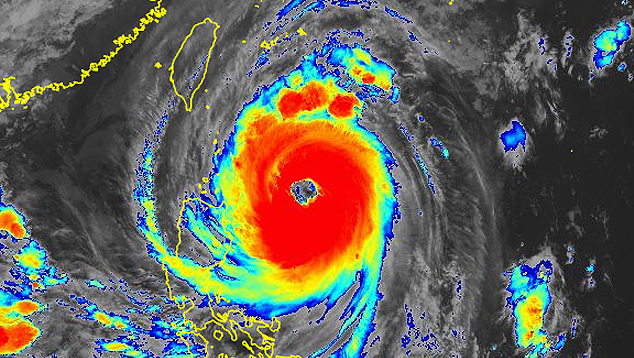
o intenso tufão Kong Rey aparece ao largo das Filipinas em destaque na imagem de satélite do dia 29. Crédito: AMJ/Himawari 8/9
o intenso tufão Kong Rey aparece ao largo das Filipinas em destaque na imagem de satélite do dia 29. Crédito: AMJ/Himawari 8/9

A proximidade de Kong Rey do norte das Filipinas ameaça novamente partes de Luzon com previsão de chuvas torrenciais a partir desta terça-feira, de acordo com o departamento meteorológico do país.

O mau tempo acontece poucos dias após a tempestade tropical Trami ter tocado o solo das Filipinas no fim de semana, causando inundações generalizadas e resultando num saldo de 126 mortos.

Em Taiwan, foi o supertufão Krathon que castigou a região no começo do mês e agora Kong Rey também deve se aproximar da ilha como supertufão e ventos de 240 km/h. Algumas áreas ao sul já começaram a sentir os efeitos.

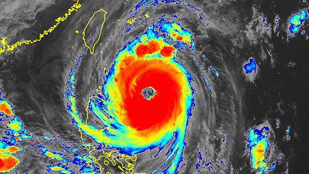
Grande tufão Kong Rey deve evoluir para supertufão no dia 30. Crédito: JTWC/SATOPS
Grande tufão Kong Rey deve evoluir para supertufão no dia 30. Crédito: JTWC/SATOPS

Kong Rey vai tocar o solo três vezes
Segundo as projeções do Joint Typhoon Warning Center (JTWC), Kong Rey vai tocar o solo do sul de Taiwan na próxima quinta-feira, dia 31, quando os ventos estarão ligeiramente menos intensos, ainda assim potencialmente destruidores.

Trajeto estimado para Kong Rey nos próximos dias. Crédito: JTWC
Trajeto estimado para Kong Rey nos próximos dias. Crédito: JTWC

Após atravessar Taiwan, Kong Rey ainda vai continuar seu trajeto rumo à costa da China e poderá tocar o solo pela segunda vez ao sul de Xangai na sexta-feira, dia primeiro de novembro, com ventos na ordem de 90 km/h. A meteorologia de Taiwan está em alerta com projeção de chuvas de 600 mm e as autoridades emitiram avisos para inundações e deslizamentos de terra, além de cancelar viagens.

Se Kong Rey resistir à jornada, ainda poderá seguir para o sul do Japão no começo da semana e tocar o solo com ventos um pouco acima dos 70 km/h.

Acesse também:

Índia evacua centenas de milhares de pessoas com a aproximação do ciclone Dana

Espanha é atingida por inundações devastadoras que já deixam mais de 60 mortos

Acompanhe em tempo real todas as tempestades ciclônicas que estão atuando ao redor do globo!



Procure no Painel


Links Úteis  |  Imprensa  |  Anuncie  |  Fale Conosco  |  Versão Celular  |   Política de Privacidade

Painelglobal.com.br - Todos os direitos reservados - 2008 - 2025