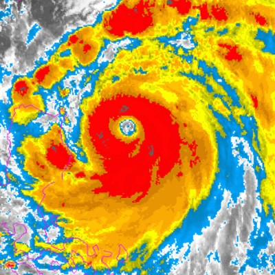
Poderosos tufões estão transportando microplásticos para o continente?
Pesquisadores realizaram uma experiência inédita na China para descobrir a relação de tufões potentes com a poluição atmosférica por micropláticos. Ouça aqui sobre como foi feito o exprimento e os resultados bastante interessantes!
Adquira aqui o ebook MEU PRIMEIRO PODCAST - GUIA PRÁTICO DE PRODUÇÃO PARA INICIANTES https://hotm.art/kbDXcRN
Maria Clara Machado é radialista e elabora diariamente conteúdos para os sites Apolo11 e o Painelglobal, hoje disponíveis em forma de podcasts, vídeos ou artigos. Tem longa experiência com produções audiovisuais ligadas a meteorologia e fenômenos naturais. |
|
Painelglobal.com.br - Todos os direitos reservados - 2008 - 2026