






|
|
|
|
Antártida
Quinta-feira, 16 abr 2026 - 15h29
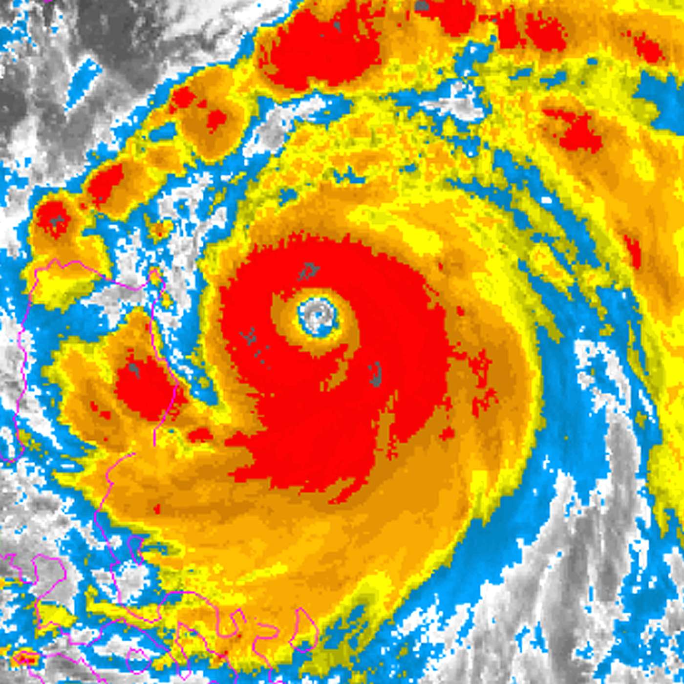
Pacífico ocidental Terça, 14 abr 2026 - 09h08 Supertufão Sinlaku está atingindo ilhas norte-americanas com ventos na categoria 5Havaí Segunda, 13 abr 2026 - 11h09 Vulcão Kilauea em aviso amarelo, após erupção explosiva no final da semanaGlobal Sexta, 10 abr 2026 - 09h36 NOAA alerta para a formação de El Niño em breve e que poderá ser forte |
|
Prof = Profundidade em km
Tons de TNT = Quantidade de energia liberada equivalente em toneladas de TNT BA = Quantidade de bombas atômicas equivalentes à de Hiroshima, de 20 Ktons de TNT
aa
Relatório SísmicoRelatório Sísmico |
Vulcão Piton de la Fournaise (France)O Observatório Vulcanológico do Piton de la Fournaise (OVPF) relatou que a atividade eruptiva no Piton de la Fournaise foi retomada em 8 de abril. Tremores vulcânicos contínuos de baixa amplitude, que começaram em 3 de abril, sob o flanco ESE, no mesmo local das fases eruptivas anteriores, diminuíram acentuadamente na noite de 7 de abril. Após a queda, surgiram eventos de pistãoamento de gás (fases intermitentes de tremor) que persistiram até a manhã seguinte. Por volta das 5h30 do dia 8 de abril, a amplitude do tremor aumentou significativamente e, às 13h15, atingiu um nível superior ao de 2 de abril, antes da cessação da atividade. As emissões de gás aumentaram simultaneamente no cone principal, provavelmente indicando a presença de lava na superfície. Durante um sobrevoo realizado no final daquela tarde, foi observado um pequeno lago de lava no cone. A atividade intermitente no cone foi caracterizada por períodos de intensos respingos e desgaseificação, seguidos por períodos de calmaria, cada um com duração de cerca de 10 minutos. Às 9h15 do dia 9 de abril, uma nova cratera tornou-se visível a 180 m acima do cone. A nova cratera produziu fontes de lava, enquanto a atividade intermitente no cone principal cessou, embora um lago de lava tenha persistido. Um fluxo de lava da nova cratera desceu a encosta até cerca de 700 m de altitude, com uma vazão máxima estimada em 35 metros cúbicos por segundo. A vazão média caiu para 10 metros cúbicos por segundo às 18h. Na manhã do dia 20 de abril, um cone havia crescido ao redor da nova cratera que se rompeu, permitindo que a lava se movesse encosta abaixo e formasse um novo campo de fluxo no topo das Grandes Pentes. Entre os dias 10 e 12 de abril, fontes de lava e respingos continuaram a se acumular no novo cone, enquanto a atividade no cone principal era baixa, mas produzia emissões significativas de gás. As vazões de lava chegaram a 15 metros cúbicos por segundo. A frente de fluxo não avançou significativamente entre os dias 11 e 12 de abril, mantendo-se entre 1.345 e 1.370 metros de altitude. Às 23h10 do dia 12 de abril, a amplitude do tremor diminuiu drasticamente, indicando o fim da erupção. O nível de alerta permaneceu em 2,2 (em uma escala de 0 a 4). Fonte: Observatório Vulcanológico do Piton de la Fournaise (OVPF) Vulcão Dukono (Indonesia)O Pusat Vulkanologi dan Mitigasi Bencana Geologi (PVMBG) informou que a atividade eruptiva em Dukono continuou durante 9 a 14 de abril. Plumas diárias de cinzas brancas e cinzas subiam de 400 a 1.200 m acima do cume e flutuavam em várias direções. O nível de alerta permaneceu no nível 2 (numa escala de 1 a 4) e o público foi avisado para ficar a 4 km da cratera Malupang Warirang.Fonte: Pusat Vulkanologi dan Mitigasi Bencana Geologi (PVMBG, também conhecido como CVGHM) Vulcão Kilauea (United States)O Observatório Vulcanológico do Havaí (HVO) relatou que a erupção na caldeira do cume de Kaluapele, no Kilauea, caracterizada por jatos de lava episódicos, incandescência e respingos intermitentes de crateras ao longo da margem sudoeste da cratera Halema?uma?u, continuou em níveis variáveis durante o período de 9 a 14 de abril. A atividade na abertura sul, entre 3 e 9 de abril, incluiu respingos limitados, jatos de lava em forma de cúpula baixa e cerca de 75 transbordamentos de lava. A partir das 2h25 do dia 9 de abril, a lava transbordou pela abertura norte, seguida por mais três transbordamentos. O último começou às 10h08 e, às 11h10, transformou-se em um jato de lava. O jato cresceu lentamente, atingindo cerca de 100 m de altura às 12h00 e 190 m cerca de 30 minutos depois. Uma coluna de erupção atingiu 4,5 km (15.000 pés) acima do nível do mar e derivou para o norte. Às 12h36, o nível de alerta vulcânico foi elevado para Aviso (o nível mais alto em uma escala de quatro níveis) e o Código de Cores da Aviação foi elevado para Vermelho (a cor mais alta em uma escala de quatro cores). Às 12h45, a fonte atingiu uma altura máxima de 240 m. Pedras de tefra com até 25 cm de diâmetro caíram dentro do Parque Nacional dos Vulcões do Havaí, perto do Acampamento Militar de Kilauea, e no loteamento adjacente do Campo de Golfe do Vulcão. Cinzas e fragmentos de cabelo de Pele foram relatados até em Kaumana (33 km a nordeste), a oeste de Hilo. A altura da fonte diminuiu gradualmente para 150 m no final da tarde, a coluna de erupção estava subindo para 3 km (10.000 pés) acima do nível do mar e uma queda de tefra significativamente menor foi relatada nas áreas a nordeste. A erupção cessou abruptamente às 19h41, após oito horas e 31 minutos de atividade contínua na cratera norte. A taxa média de efusão foi de 200 metros cúbicos por segundo, com um pico de pouco mais de 390 metros cúbicos por segundo, por volta das 12h30. Estima-se que 7,5 milhões de metros cúbicos de lava tenham entrado em erupção e coberto cerca de 50% do fundo da cratera Halema?uma?u. A cratera sul produziu jatos de gás e chamas periodicamente. Em 2002, o Nível de Alerta Vulcânico foi reduzido para Aviso e o Código de Cores para Aviação foi reduzido para Amarelo. Ambas as crateras produziram quantidades variáveis de incandescência e emissões de gás entre 10 e 14 de abril. Fonte: Serviço Geológico dos Estados Unidos, Observatório Vulcanológico do Havaí (HVO) |
|
|
EXTREMOS DO CLIMA |
|
|
Painelglobal.com.br - Todos os direitos reservados - 2008 - 2026